Das Grundstück befindet sich in bester, beruhigter und sonniger Lage von Benningen. Man hat vom Baugrundstück aus einen wunderschönen unverbauten Ausblick auf die Weinberg, sowie eine sonnige Südausrichtung.
Das großzügige Baugrundstück eignet sich zur Neubebauung eines exklusiven Eigenheim, DH, sowie einer Mehrfamilienbebauung.
Da das Bauvorhaben innerhalb des Ortsbauplans aus der Jahr 1907 ist, liegt kein qualifizierter Bebauungsplan fest. Er richtet sich nach § 30 Abs. 3 des Baugesetzbuches und ist nach § 34 Baugesetzbuch zu bewerten.
Das Vorhaben muss sich in die Nachbarbebauung einfügen.
Hier stehen bereits verschiedene Mehrfamilienhäuser mit bis zu 4-geschossiger Bebauung.
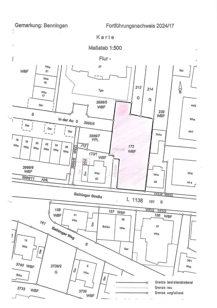
Ein bereits eingereichter Bebauungsplan für ein DH ist genehmigt u. kann nach Bauvorgabe errichtet werden. Das erschlossene Grundstück wurde auf 355 qm u. 319 qm geteilt. In dem ruhigen und beliebten Wohngebiet können diese modernen DHH mit jeweils 6 großen Zimmern errichtet werden. Der Garten und die Terasse sind direkt nach Süden ausgerichtet und bieten eine Oase der Ruhe. Der Blick auf die Weinberge runden die idyllische Lage ab.
Das Baugrundstück ist einer der wenigen Grundstück in einem gewachsenen Umfeld.
Wunderschöner Bauplatz mit ca. 661 m² in Bestlage mit Blick auf die Weinberge
71726 Benningen am Neckar
Die vollständige Adresse der Immobilie erhalten Sie vom Anbieter.
Auf Karte anzeigen
Die vollständige Adresse der Immobilie erhalten Sie vom Anbieter.
Finanzierungszertifikat
In nur zwei Minuten zu Ihrem persönlichen Finanzierungszertifkat.
Infos
| Vermarktungsart | Kaufen |
|---|---|
| Grundstücksfläche | 661 m2 |
| Erschließung | Erschlossen |
| Verfügbar ab | sofort |
Kosten
| Miete pro Jahr |
480.000 € |
|---|---|
| Provision |
3,57% inkl.ges.MwSt. |
Finanzierungsrechner:
Kaufpreis:
600.000 €
Eigenkapital:
600.000 €
Monatliche Rate
0 €
Effektiver Jahreszins
0 %
Sollzinsbindung
10 Jahre
Beschreibung des Objekts
Lage
Der Bauplatz liegt zentral im Ortskern von Benningen a.N. Die Umgebung zeichnet sich durch Einfamilien-, DH - u. Mehrfamilienhausbebauung aus.
Verkehrsberuhigte Zonen und viel Freispielfläche machen den Bauplatz auch für junge Familien attraktiv.
Eine Baugenehmigung für ein Mehrfamilienhaus ist möglich.
Sonstige Angaben
Starten Sie den Bauturbo!
Attraktive steuerliche Abschreibungen für Neubauobjekte stehen Ihnen zur Verfügung.
Privatpersonen, Bauträger, oder Projektentwickler eröffnen sich diese Möglichkeit.
Benningen a.N. hat bereits eine geschichtsträchtige Eintragung während der Römerzeit. Bis heute ist das einzige originale Straßenstück der Römerzeit im Ort.
Die Gemeinde Benningen wird besonders wegen ihrer direkten Lage an die S-Bahn Strecke Stuttgart-Backnang von Pendlern geschätzt.
In direkter Umgebung finden sich schöne Naturflächen, ideal für Spaziergänge, Radtouren entlang des Neckarrahrradwegs oder sportliche Aktivtäten wie Stand-Up-Paddeln.
Infrastruktur und Umgebung:
- S-Bahn-Anschluss (S4-Stuttgart u. Backnang) ist in 5 Min. fußläufig erreichbar
- Vielfältige Einkaufsmöglichkeiten: Supermarkt, Bäckereien, Natur-u Hofladen in unmittelbarer Nähe
- Kindergärten, Kita, Grundschule fussläufig erreichbar
- Ärztliche Versorgung, Apotheke u. medizinisches Fitness-Studio vor Ort
- Kulinarische Vielfalt mit regionaler schwäbischer sowie internationaler Küche
- Ein lebendiges Vereinsleben und zahlreiche Freizeitangebote zeichnen das Ortsleben aus. Eine Ortsgemeinschaft, welche Ihren Ursprung in dem bis heute beliebten Gesangverein hat. In Musikverein, Sportvereinen oder dem DRK, sowie dem Bund f. Heimatkunde, dem Skiclub, Angelsportverein, Motor-Boot Club, Wanderfreunde oder dem traditionellen Kirbebrauchtum kann jeder einen Platz in der Gemeinde finden.
In direkter Nachbarschaft ist der Neckar mit einer Schiffsanlegestelle und die Winzervereinigung mit Ihrer Steillagenerhaltung für den Weinbau.
Ein Ort zum Wohlzufühlen!
Grundriss
Bauplatz Lageplan
>
>