Dieses herrliche Baugrundstück befindet sich inmitten der schönen Walddörfer in zentraler Lage von Hamburg-Bergstedt.
Aktuell ist es noch bebaut mit einem nicht erhaltungswürdigen Altbestand, einem Außenschwimmbecken und einem Gartenschuppen, die vor einer Neubebauung abgebrochen werden müssen.
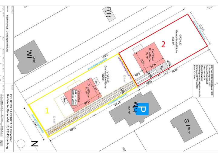
Derzeit wird das Grundstück bereits real in zwei getrennte neue Flurstücke aufgeteilt. Es entsteht ein vorderes und ein rückwärtiges Grundstück, die getrennt oder zusammen erworben werden können.
Das vorliegende Angebot bezieht sich nur auf das rückwärtige Grundstück Nr. 2. Dieses kann voraussichtlich mit einem Einfamilienhaus bebaut werden.
Der Vorteil des rückwärtigen Grundstücks ist die ruhige Lage in zweiter Reihe. Das rückliegende Grundstück bekommt auf einer Breite von ca. 3 m entlang der östlichen Grundstücksgrenze ein Geh-/Fahr-/Wege- und Leitungsrecht auf dem vorderen Grundstück eingetragen, welches auch im Grundbuch abgesichert wird.
Das Grundstück liegt im Bereich des Baustufenplans Bergstedt aus 1955 mit der 2. Änderung aus 2022.
+ rückwärtiges Grundstück Nr. 2
+ nach Teilung ca. 506 m² großes Grundstück
+ reale Grundstücksteilung
+ Geh-, Fahr-, Wege- und Leitungsrecht für rückliegendes Grundstück
+ voraussichtlich bebaubar mit einem Einfamilienhaus
+ maximal 1 Vollgeschoss zuzüglich ausgebautem Dachgeschoss
+ voraussichtlich ca. 92 m² mit dem Gebäude bebaubar
+ keine Altlastenverdachtsfläche
+ keine störenden Bäume im Baufenster
+ die Vermessungskosten sind hälftig von den Käufern zu tragen
Unterlagen, die bereits vorliegen:
+ positiver Bauvorbescheid zur Grundstücksteilung
+ Angebot für Abriss
+ Kampfmittelfreigabe
Bezüglich einer verbindlichen Auskunft zur Bebaubarkeit wenden Sie sich bitte direkt an das zuständige Bauamt in Wandsbek.
Gerne bieten wir nach Absprache auch Grundstücksbegehungen an.
Wir bitten von eigenständigen Begehungen des Grundstücks abzusehen.
Bauplatz für ein Einzelhaus imitten der Walddörfer in HH-Bergstedt
22395 Hamburg
Die vollständige Adresse der Immobilie erhalten Sie vom Anbieter.
Auf Karte anzeigen
Die vollständige Adresse der Immobilie erhalten Sie vom Anbieter.
Finanzierungszertifikat
In nur zwei Minuten zu Ihrem persönlichen Finanzierungszertifkat.
Infos
| Vermarktungsart | Kaufen |
|---|---|
| Grundstücksfläche | 506 m2 |
| Erschließung | Unerschlossen |
| Grundflächenzahl (GRZ) | 0.2 |
| Bebaubar nach | wie Nachbarbebauung |
| Verfügbar ab | sofort |
Kosten
| Miete pro Jahr |
398.000 € |
|---|---|
| Provision |
3,57% inkl. MwSt. |
Finanzierungsrechner:
Kaufpreis:
600.000 €
Eigenkapital:
600.000 €
Monatliche Rate
0 €
Effektiver Jahreszins
0 %
Sollzinsbindung
10 Jahre
Beschreibung des Objekts
Lage
Bergstedt ist ein idyllischer Stadtteil im Nordosten Hamburgs, der vor allem durch seine grüne, familienfreundliche und naturnahe Atmosphäre besticht. Eingebettet in die reizvolle Landschaft der Walddörfer gehört Bergstedt zum Bezirk Wandsbek und bietet eine seltene Kombination aus ländlichem Charme und städtischer Lebensqualität.
Die Umgebung ist geprägt von viel Natur: Wiesen, Felder, kleine Wälder und der malerische Alsterlauf laden zu ausgedehnten Spaziergängen, Fahrradtouren oder einfach zum Durchatmen ein. Besonders beliebt ist das Naturschutzgebiet Rodenbeker Quellental – ein echtes Kleinod direkt vor der Haustür. Auch der nahegelegene Volksdorfer Wald bietet Ruhe und Erholung für Naturliebhaber.
Trotz der ruhigen Lage ist Bergstedt bestens angebunden: Mit dem HVV gelangt man in rund 30 Minuten in die Hamburger Innenstadt. Einkaufsmöglichkeiten, Schulen, Kindergärten und ärztliche Versorgung sind bequem erreichbar – entweder im Ortskern von Bergstedt oder in den angrenzenden Stadtteilen wie Volksdorf, Sasel oder Poppenbüttel mit dem beliebten Alstertal-Einkaufszentrum.
Bergstedt zeichnet sich durch ein starkes Gemeinschaftsgefühl, viele gepflegte Einfamilienhäuser und ein überdurchschnittlich hohes Maß an Lebensqualität aus. Die Nachbarschaft ist freundlich, ruhig und generationsübergreifend – ideal für Familien, Ruhesuchende und Menschen, die gerne im Grünen wohnen, aber auf die Nähe zur Stadt nicht verzichten möchten.
Sonstige Angaben
Nebenkosten: ca. 2 % Notar- und Gerichtskosten sowie 5,5 % gesetzlicher Grunderwerbsteuer
Käufercourtage: 3,57 % inkl. Mehrwertsteuer
Bitte haben Sie Verständnis dafür, dass auf Wunsch der Verkäufer keine Reservierungen vor Notartermin möglich sind.
Haftungsausschluss: Wir möchten Sie darauf hinweisen, dass sämtliche Angaben auf Grundlage von Eigentümerangaben, nach bestem Wissen und Gewissen, jedoch ohne Gewähr auf Vollständigkeit und Richtigkeit, erfolgen. Irrtum und Zwischenverkauf vorbehalten. Der Makler ist von jeglicher Haftung befreit.
Sie wollen Ihre Immobilie verkaufen? Sprechen Sie uns an und vereinbaren Sie einen Termin für eine kostenlose Werteinschätzung. Entsprechend Ihrer Vorstellungen erhalten Sie von uns ein für Sie maßgeschneidertes Vermarktungskonzept für Ihre Immobilie.
Dolberg & Uderstadt Immobilien, Ihr Vertrauensmakler seit 1971 – profitieren Sie von der Erfahrung aus mehr als 50 Jahren im Verkauf von Immobilien.