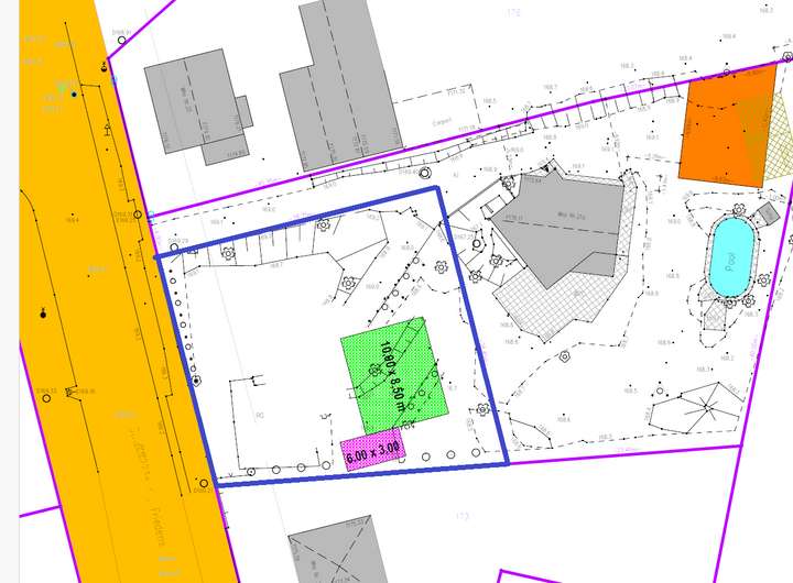
Zum Verkauf steht ein bereits vermessenes und teilerschlossenes Grundstück in einer der beliebtesten Wohnlagen von Borna. Das Grundstück verfügt über einen direkten Zugang zu den vorhandenen Medien – Strom, Wasser, Gas sowie Abwasser liegen bereits am Grundstück an. Die anliegende Straße wurde kürzlich vollständig saniert und überzeugt mit einem modernen Ausbau inklusive Fußweg. Der alleeartige Charakter verleiht der Straße ein repräsentatives und gepflegtes Erscheinungsbild.
Besonderes Merkmal dieses Grundstücks ist der gewachsene Baum- und Heckenbestand, der nicht nur einen natürlichen Sichtschutz bietet, sondern auch für ein hohes Maß an Privatsphäre sorgt. Die Umgebung ist geprägt von einer hochwertigen Bebauung mit Einfamilienhäusern, was eine ruhige und familienfreundliche Nachbarschaft garantiert.
Die Bebauung des Grundstücks richtet sich gemäß § 34 BauGB (Umgebungsbebauung). Eine Bebauung mit einem Vollgeschoss sowie einem ausgebauten Dachgeschoss oder von zwei Vollgeschossen im Villenstil ist entsprechend der Nachbarbebauung möglich.
Grundstück in gewachsener Siedungslage
04552 Borna
Die vollständige Adresse der Immobilie erhalten Sie vom Anbieter.
Auf Karte anzeigen
Die vollständige Adresse der Immobilie erhalten Sie vom Anbieter.
Finanzierungszertifikat
In nur zwei Minuten zu Ihrem persönlichen Finanzierungszertifkat.
Infos
| Vermarktungsart | Kaufen |
|---|---|
| Grundstücksfläche | 750 m2 |
| Erschließung | Teilerschlossen |
| Empfohlene Nutzung | Einfamilienhaus |
| Bebaubar nach | wie Nachbarbebauung |
| Verfügbar ab | sofort |
Kosten
| Miete pro Jahr |
119.000 € |
|---|---|
| Provision |
6,95 % Die Provision beträft 6,95 % inkl. MwSt. vom beurkundeten Kaufpreis. |
Finanzierungsrechner:
Kaufpreis:
600.000 €
Eigenkapital:
600.000 €
Monatliche Rate
0 €
Effektiver Jahreszins
0 %
Sollzinsbindung
10 Jahre
Beschreibung des Objekts
Lage
Das Grundstück befindet sich in einem gefragten Ortsteil der Stadt Borna – ruhig gelegen und dennoch hervorragend angebunden. In unmittelbarer Nähe befinden sich sämtliche infrastrukturellen Einrichtungen des täglichen Bedarfs wie Einkaufsmöglichkeiten, Schulen, Kindergärten und medizinische Versorgung.
Die Lage im Neuseenland sowie die direkte Nähe zum Hartsee bieten eine Vielzahl an Freizeit- und Erholungsmöglichkeiten – sei es Wandern, Radfahren, Wassersport oder einfach nur Entspannen in der Natur.
Darüber hinaus profitieren Sie von einer sehr guten Verkehrsanbindung: Die Autobahn A72 ist schnell erreichbar und auch ein Bahnanschluss befindet sich in der Nähe – ideal für Berufspendler oder Familien, die stadtnah, aber ruhig wohnen möchten.
Sonstige Angaben
Kontaktieren Sie uns gerne für eine Besichtigung und persönliche Beratung vor Ort!
Bitte beachten:
Nur vollständige Kontaktanfragen mit Namen, Adresse, Telefonnummer und E-Mail-Adresse können berücksichtigt und beantwortet werden. Wir bitten um Ihr Verständnis.
Alle Angaben in diesem Exposé wurden sorgfältig und nach bestem Wissen gemacht. Sie beruhen auf den uns zur Verfügung gestellten Informationen und dienen der allgemeinen Information. Eine Gewähr für die Richtigkeit, Vollständigkeit oder Aktualität der Angaben wird nicht übernommen. Änderungen, Irrtümer und Zwischenverkauf bleiben ausdrücklich vorbehalten.