Zum Verkauf steht ein wunderschön gelegenes Baugrundstücke im Herzen des Pfälzer Waldes – ideal für alle, die Ruhe, Natur und Lebensqualität suchen.
Das Grundstück befindet sich in besonders ruhiger und sonniger Lage mit einem herrlichen Blick ins Grüne. Hier genießen Sie absolute Privatsphäre und gleichzeitig die Nähe zu allen wichtigen Einrichtungen des täglichen Bedarfs.
Besonderheiten:
Voll erschlossen – Wasser, Strom, Abwasser
Sehr gute Bebaubarkeit – ideal für Einfamilienhäuser und Ferienhäuser
Ruhige, idyllische Lage mitten in der Natur
Umgeben von Wanderwegen und Wäldern
Gute Anbindung an die umliegenden Orte und Städte
Ein Ort, an dem man zur Ruhe kommt und gleichzeitig die Freiheit hat, seine Wohnträume individuell zu verwirklichen.
Einmalige Gelegenheit:
Solch ein Grundstück ist im Pfälzer Wald selten geworden – greifen Sie zu und sichern Sie sich Ihr Stück Lebensqualität in einer der schönsten Regionen Deutschlands!
In wenigen Minuten erreichen Sie den nächsten Ort mit Einkaufsmöglichkeiten, Schulen und ärztlicher Versorgung. Wander- und Radwege beginnen direkt vor der Haustür und laden dazu ein, die Schönheit der Region das ganze Jahr über zu genießen.
Finanzierungszertifikat
In nur zwei Minuten zu Ihrem persönlichen Finanzierungszertifkat.
Infos
| Vermarktungsart | Kaufen |
|---|---|
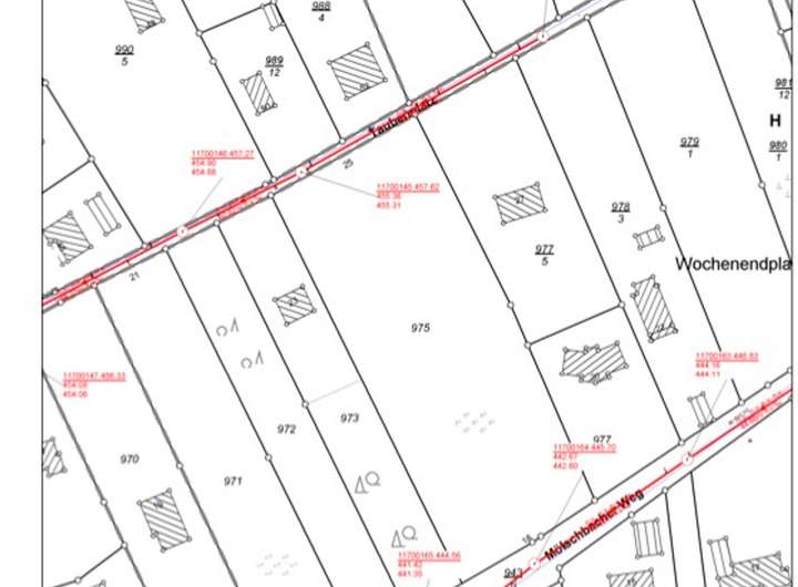
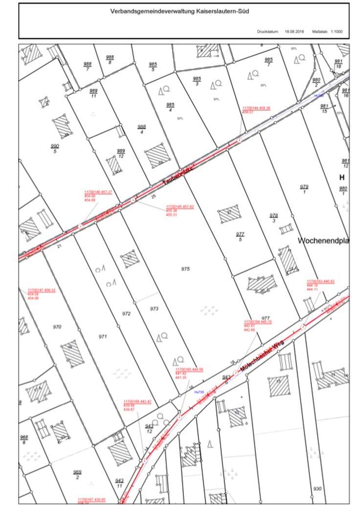
| Grundstücksfläche | 2.090 m2 |
| Erschließung | Erschlossen |
Kosten
| Miete pro Jahr |
491.150 € |
|---|---|
| Provision | Nein |
Finanzierungsrechner:
Kaufpreis:
600.000 €
Eigenkapital:
600.000 €
Monatliche Rate
0 €
Effektiver Jahreszins
0 %
Sollzinsbindung
10 Jahre
Beschreibung des Objekts
Lage
Hohe Privatsphäre
Sonstige Angaben
Einmalige Gelegenheit:
Solch ein Grundstück ist in Deutschland und im Pfälzer Wald selten geworden – greifen Sie zu und sichern Sie sich Ihr Stück Lebensqualität in einer der schönsten Regionen Deutschlands! Energieausweis liegt zur Besichtigung vor.
Grundriss
Trippstadt, Flurstück Nr. 9...
>
>
Grundstück mit 2 Baufenster...
>
>