Verkauf von privat an privat, Makleranfragen zwecklos!
Kontaktieren Sie uns gerne auch per e-Mail: gilchinglehel(at)gmx.de
Zum Verkauf steht ein attraktives Baugrundstück mit ca. 258 m² in ruhiger Lage – ideal für die Verwirklichung Ihres eigenen Wohntraums. Das Grundstück befindet sich im rückwärtigen Gartenbereich eines Mehrgenerationenhaus und bietet durch seine Lage ein hohes Maß an Privatsphäre. Zufahrt und Erschließung werden über ein Wegerecht notariell gesichert.
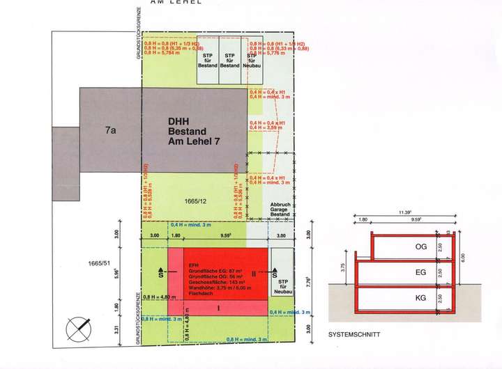
Für das Grundstück liegt bereits ein genehmigter Vorbescheid für den Bau eines Einfamilienhauses mit 2 Vollgeschossen (Grundfläche 87 m², Geschossfläche 143 m²) vor. Damit sind wesentliche planungsrechtliche Voraussetzungen bereits geklärt – ein großer Vorteil für Bauherren, die zügig in die konkrete Planung einsteigen möchten.
Dieses Grundstück eignet sich besonders für Paare oder kleine Familien, die Wert auf Privatsphäre, Qualität und Individualität legen. Statt Kompromisse bei einer Doppelhaushälfte einzugehen, können Sie hier Ihren Traum vom freistehenden Einfamilienhaus in angenehmer Größe verwirklichen.
Baugrundstück mit ca. 258 m² und genehmigtem Vorbescheid für ein Einfamilienhaus in ruhiger Lage
82205 Gilching
Die vollständige Adresse der Immobilie erhalten Sie vom Anbieter.
Auf Karte anzeigen
Die vollständige Adresse der Immobilie erhalten Sie vom Anbieter.
Finanzierungszertifikat
In nur zwei Minuten zu Ihrem persönlichen Finanzierungszertifkat.
Infos
| Vermarktungsart | Kaufen |
|---|---|
| Grundstücksfläche | 258 m2 |
| Verfügbar ab | 8.10.2025 |
Kosten
| Miete pro Jahr |
460.000 € |
|---|---|
| Provision | Nein |
Finanzierungsrechner:
Kaufpreis:
600.000 €
Eigenkapital:
600.000 €
Monatliche Rate
0 €
Effektiver Jahreszins
0 %
Sollzinsbindung
10 Jahre
Beschreibung des Objekts
Lage
Gilching ist eine aufstrebende und beliebte Ortschaft im Landkreis Starnberg, die keine Wünsche offenlässt. Sie überzeugt durch ihre ausgezeichnete Verkehrsanbindung, die Nähe zu den beliebten Erholungsgebieten rund um die Seen und die Berge sowie die schnelle Erreichbarkeit der Landeshauptstadt München.
Dank zwei S-Bahn-Stationen ist die Münchner Innenstadt in nur etwa 25 Minuten zu erreichen, und die Autobahn A96 München-Lindau gewährleistet eine hervorragende Anbindung für Autofahrer.
Die Lage im idyllischen Fünfseenland macht Gilching besonders attraktiv. Die bekannten Seen wie der Starnberger See, der Ammersee und der Wörthsee sind in kurzer Zeit erreichbar und bieten vielfältige Freizeitmöglichkeiten, vom Schwimmen und Segeln bis hin zu Wanderungen und Radtouren in den nahegelegenen Voralpen.
Für Familien bietet Gilching ein breites Spektrum an Betreuungs- und Bildungseinrichtungen, darunter zwei Grundschulen, ein Gymnasium, eine Mittelschule, eine Volkshochschule, eine Montessori-Schule sowie 14 Kindergärten in Gilching.
Sonstige Angaben
Fazit:
Ein charmantes, gut durchdachtes Baugrundstück mit hohem Potenzial – perfekt für alle, die sich ihren Traum vom eigenen Haus erfüllen möchten.
Hier entsteht Ihr individuelles Zuhause – kompakt, hochwertig und mit viel Liebe zum Detail planbar.
Nutzen Sie diese seltene Gelegenheit und vereinbaren Sie gerne einen Besichtigungstermin.
Hier wartet Ihr zukünftiges Zuhause auf Sie!