In herrlicher Westhanglange in Sternenfels gelegen, steht dieses großzügige Baugrundstück mit über 1000 m² zum Verkauf.
Eingebettet in einen ehemaligen Weinberg, bietet es direkten Zugang zum angrenzenden Wald und Wanderweg - ideal für Naturfreunde und Alle, die ein Leben im Grünen schätzen.
Highlights:
- 1.012 m² Baugrund
- erschlossene Baulücke in ruhigem Wohngebiet
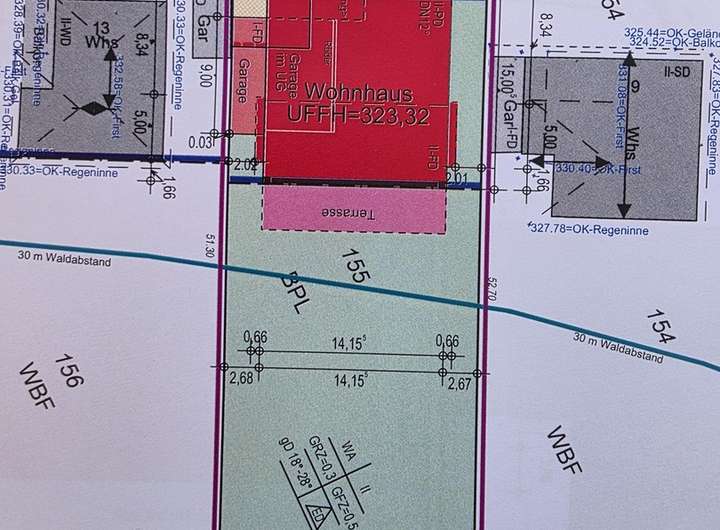
- GRZ 0,3; GFZ 0,5
- Dachneigung 18-28°
- Bebauung mit Einzelhaus oder Doppelhaus
- Zwei Vollgeschosse
- Westhang direkt am Wald und Wanderweg
- Auf dem Lageplan sehen Sie ein Beispiel für die Bebauung
Der aktuelle Bodenrichtwert beträgt 270 €/m².
Der Verkauf erfolgt von Privat ohne Provision. Makleranfragen sind nicht erwünscht.
Alle Angaben ohne Gewähr.
Finanzierungszertifikat
In nur zwei Minuten zu Ihrem persönlichen Finanzierungszertifkat.
Infos
| Vermarktungsart | Kaufen |
|---|---|
| Grundstücksfläche | 1.012 m2 |
| Erschließung | Erschlossen |
| Verfügbar ab | sofort |
Kosten
| Miete pro Jahr |
273.240 € |
|---|---|
| Provision | Nein |
Finanzierungsrechner:
Kaufpreis:
600.000 €
Eigenkapital:
600.000 €
Monatliche Rate
0 €
Effektiver Jahreszins
0 %
Sollzinsbindung
10 Jahre
Beschreibung des Objekts
Lage
Infrastruktur (im Umkreis von 5 km):
Kindergarten, Grundschule, Öffentliche Verkehrsmittel
Sonstige Angaben
Makleranfragen nicht erwünscht. Nach § 7 UWG sind unaufgeforderte Kontaktaufnahmen durch Makler ohne ausdrückliche Einwilligung des Empfängers verboten!
ohne-makler (OM) ist weder Anbieter noch Vermittler der Immobilie. OM betreibt eine Plattform für Immobilieneigentümer, die unter anderem die gleichzeitige Veröffentlichung einzelner Inserate auf mehreren Immobilienportalen ermöglicht. Die Inhalte dieser Inserate werden ausschließlich von Dritten verantwortet. Für die Richtigkeit, Vollständigkeit oder Rechtmäßigkeit der Angaben übernimmt OM keine Haftung. Hinweise auf mögliche Rechtsverstöße können jederzeit gemeldet werden und werden nach Prüfung umgehend bearbeitet.