In ruhiger und dennoch zentraler Lage von Mönchengladbach-Gerkerath bietet sich Ihnen eine seltene Gelegenheit:
Zum Verkauf steht ein großzügiges Grundstück mit einem bereits genehmigten Bauvorbescheid für vier Wohneinheiten.
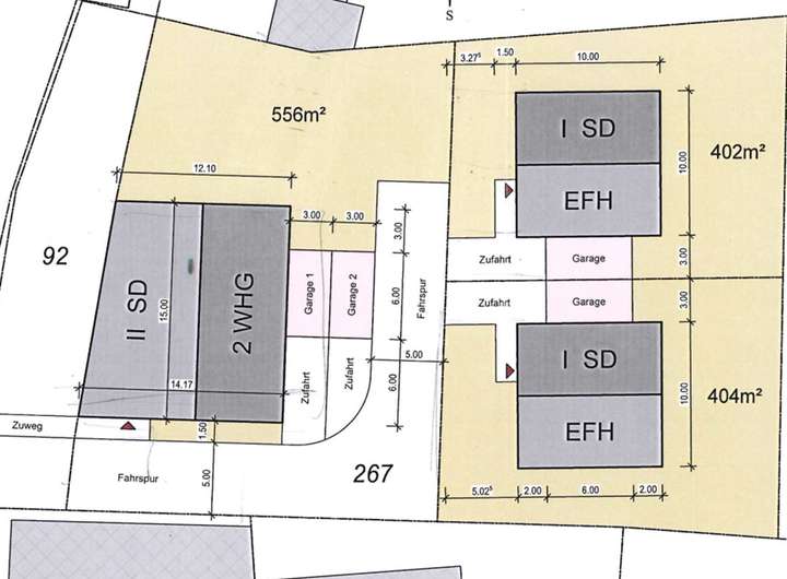
Das durchdachte Konzept sieht zwei freistehende Einfamilienhäuser im rückwärtigen Teil des Grundstücks sowie ein Zweifamilienhaus im vorderen Bereich vor. Die Planung berücksichtigt zudem eine private Erschließungsstraße mit einer Fläche von ca. 227 m², die eine Zufahrt zu den beiden hinteren Grundstücken gewährleistet.
Im Einzelnen umfasst die Planung folgende Einheiten:
Das erste Einfamilienhaus ist eingeschossig mit Satteldach und integrierter Garage geplant. Es befindet sich auf einem Grundstück mit ca. 402 m² Fläche und bietet eine vorgesehene Hausgröße von 10 x 10 Metern.
Auch das zweite Einfamilienhaus ist eingeschossig mit Satteldach und Garage konzipiert. Die zugehörige Grundstücksfläche beträgt etwa 404 m² bei gleicher Grundfläche von 10 x 10 Metern.
Das dritte Gebäude ist als zweigeschossiges Zweifamilienhaus mit Satteldach im vorderen Bereich des Grundstücks geplant. Die Grundstücksfläche umfasst ca. 556 m², die vorgesehenen Hausmaße betragen rund 12,10 x 15 Meter.
Aktuell ist das Grundstück mit einem älteren Einfamilienhaus bebaut, das im Rahmen der Umsetzung des neuen Bauvorhabens abgerissen werden müsste. Alternativ wäre eine Sanierung und Umnutzung des Bestandsgebäudes denkbar. Für die Realisierung der drei Neubauten sowie zur Schaffung der notwendigen Zufahrt zu den hinteren Bereichen ist der Rückbau des Altbestands jedoch zwingend erforderlich.
Individuelle Planungen können selbstverständlich in Abstimmung mit dem zuständigen Bauamt eingereicht werden.
Eine Parzellierung der einzelnen Grundstücke müsste der Käufer vornehmen. Der Verkäufer verkauft die Einheit nur im Ganzen mit aufstehendem Gebäude.
Dieses Angebot richtet sich sowohl an private Bauherren mit dem Wunsch nach einem Neubau in attraktiver Lage als auch an Bauträger, die ein durchgeplantes Projekt mit Entwicklungspotenzial realisieren und veräußern möchten.
Für weitere Informationen oder zur Vereinbarung eines persönlichen Gesprächs stehe ich Ihnen gern telefonisch unter 01578 3658390 zur Verfügung.
**RARITÄT**Traumgrundstück für 2 EFH und 1 ZFH in beliebter Lage von Gerkerath mit Bauvorbescheid***
41179 Mönchengladbach
Die vollständige Adresse der Immobilie erhalten Sie vom Anbieter.
Auf Karte anzeigen
Die vollständige Adresse der Immobilie erhalten Sie vom Anbieter.
Finanzierungszertifikat
In nur zwei Minuten zu Ihrem persönlichen Finanzierungszertifkat.
Infos
| Vermarktungsart | Kaufen |
|---|---|
| Grundstücksfläche | 1.589 m2 |
| Erschließung | Unerschlossen |
| Empfohlene Nutzung | Einfamilienhaus, Garagen, Mehrfamilienhaus |
| Bebaubar nach | wie Nachbarbebauung |
Kosten
| Miete pro Jahr |
549.000 € |
|---|---|
| Provision |
3,57 % inkl. 19 % MwSt. |
Finanzierungsrechner:
Kaufpreis:
600.000 €
Eigenkapital:
600.000 €
Monatliche Rate
0 €
Effektiver Jahreszins
0 %
Sollzinsbindung
10 Jahre
Beschreibung des Objekts
Lage
Diese Wohnlage überzeugt durch eine gelungene Verbindung aus naturnahem Wohnen und urbaner Erreichbarkeit. Gerkerath, ein gepflegter Ortsteil von Rheindahlen, bietet ein ruhiges und grünes Umfeld mit gleichzeitig sehr guter infrastruktureller Anbindung.
Besonders geschätzt wird die Lage von Familien: Bildungseinrichtungen wie Schulen und Kindergärten sind ebenso schnell erreichbar wie zahlreiche öffentliche Angebote.
Einkaufsmöglichkeiten des täglichen Bedarfs, Fachgeschäfte, Gastronomie sowie eine Anbindung an den öffentlichen Nahverkehr sind in der näheren Umgebung vorhanden und gewährleisten einen komfortablen Alltag.
Die Kombination aus ländlichem Charme und stadtnaher Lage macht dieses Wohnumfeld besonders attraktiv für anspruchsvolle Ruhesuchende mit Sinn für Lebensqualität.
Sonstige Angaben
HAFTUNGSAUSSCHLUSS:
Hinsichtlich der Angaben dieses Objektes sind wir maßgeblich auf die Auskünfte der Verkäufer, Vermieter, Verpächter, Architekten, Bauträger/-herren und Behörden angewiesen. Für die Richtig- und Vollständigkeit der Objektangaben/-unterlagen und ggf. deren (hand-)schriftliche Inhalte übernehmen wir, trotz sorgfältigster Überprüfung und Bearbeitung, keine Gewähr, daher werden uns gegenüber von vornherein spätere Schadensersatzansprüche aufgrund versäumter, fehlerhafter oder unvollständiger Objektangaben ausgeschlossen. Für Unterlagen, die durch uns erstellt wurden (z.B. Grundrisse, Flächenberechnungen, usw.) übernehmen wir keinerlei Gewähr und Haftung, trotz sorgfältigster Überprüfung und Bearbeitung. Wir können für die Bonität der jeweiligen Vertragspartner nicht haften. Die Grunderwerbssteuer, Notar- und Grundbuchkosten sind vom Käufer zu tragen. Auf Wunsch stehen wir Ihnen mit weiteren Informationen zum Objekt und zum Eigentümer gerne zur Verfügung. Die Besichtigung kann jederzeit nach Vereinbarung mit Di Lorenzo Immobilien- und Sachverständigenbüro erfolgen.