Träumen Sie vom Leben in unmittelbarer Moselnähe, umgeben von Natur und Freizeitmöglichkeiten?
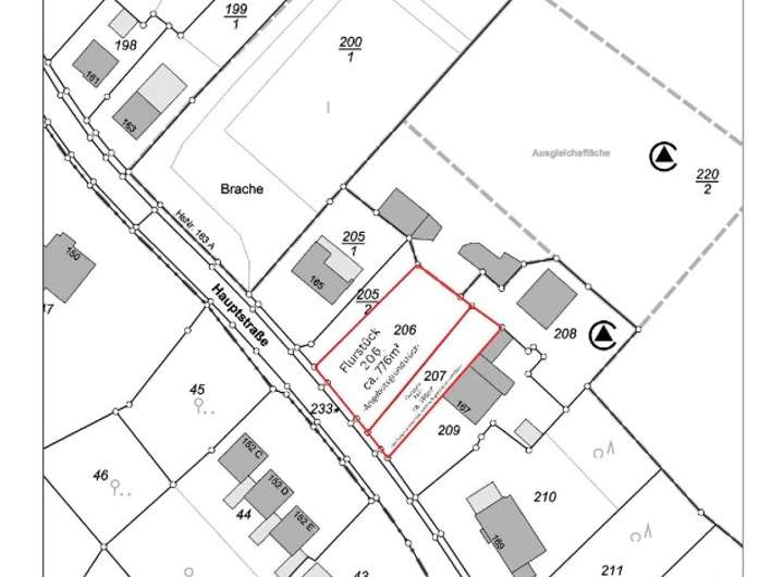
In unmittelbarer Nähe zur Mosel – nur rund 200 Meter entfernt – wartet dieses Grundstück auf Sie. Es liegt oberhalb eines gepflegten und ruhigen Campingplatz, der saisonal betrieben wird und in den Wintermonaten (Anfang Oktober bis Ende März) pausiert. Umgeben von Weinbergen, Wäldern und der idyllischen Flusslandschaft genießen Sie ein Leben mit Urlaubscharakter. Dieses Baugrundstück mit ca. 780 m² (Flurstück 206) eröffnet Ihnen die Möglichkeit, Ihr Traumhaus individuell zu gestalten und gleichzeitig die Freizeitangebote der Umgebung zu nutzen.
Besonders attraktiv: Auch das angrenzende Nachbargrundstück mit ca. 395 m² (Flurstück 207-nicht Bestandteil dieses Angebots) kann zusätzlich erworben werden, um noch mehr Platz oder Freiraum zu gewinnen. Grundstücke in dieser Traumlage sind selten und begehrt – sichern Sie sich diese einmalige Gelegenheit!
Wir möchten Sie vorab darauf hinweisen, dass die Kreditvergabe durch Banken derzeit zurückhaltend erfolgt. Bitte prüfen Sie daher Ihre finanziellen Möglichkeiten im Vorfeld.
Für weitere Informationen oder einen Besichtigungstermin stehen wir Ihnen gerne zur Verfügung. Lassen Sie sich dieses tolle Angebot in Wehlen, einem Ortsteil von Bernkastel-Kues nicht entgehen!
Die Mosel. Natur & Freizeit direkt vor der Haustür – Bauplatz in Bernkastel-Kues, Wehlen verfügbar!
Hauptstraße ,
54470 Graach an der Mosel
Auf Karte anzeigen
Finanzierungszertifikat
In nur zwei Minuten zu Ihrem persönlichen Finanzierungszertifkat.
Infos
| Vermarktungsart | Kaufen |
|---|---|
| Grundstücksfläche | 776 m2 |
| Erschließung | Teilerschlossen |
| Bebaubar nach | wie Nachbarbebauung |
| Verfügbar ab | Sofort verfügbar! |
Kosten
| Miete pro Jahr |
99.900 € |
|---|---|
| Provision |
3.570,00 EUR Provisionshinweis: 3.570,00 € inkl. 19% gesetzlicher MwSt.. Wir weisen Sie darauf hin, dass wir für den Käufer und Verkäufer tätig sind. |
Finanzierungsrechner:
Kaufpreis:
600.000 €
Eigenkapital:
600.000 €
Monatliche Rate
0 €
Effektiver Jahreszins
0 %
Sollzinsbindung
10 Jahre
Beschreibung des Objekts
Lage
Die Hauptstraße befindet sich in Wehlen, einem Ortsteil von Bernkastel-Kues, direkt am linken Moselufer und eingebettet in eine idyllische Landschaft aus Weinbergen und Wäldern. Wehlen zeichnet sich durch seine ruhige und naturnahe Atmosphäre aus und ist ein beliebtes Ziel für Erholungssuchende, Naturliebhaber und Weinfreunde.
An dieser Adresse liegt auch der Mosel Camping Bernkastel, ein familiengeführter Campingplatz nur für Erwachsene. Die Nähe zur Mosel bietet vielfältige Freizeitmöglichkeiten wie Radfahren, Wandern, Bootfahren oder einfach die entspannte Naturkulisse genießen.
Rund um Wehlen prägen renommierte Weingüter die Region, darunter die berühmte „Wehlener Sonnenuhr“, die zu den hochwertigsten Weißweinen der Mosel zählt. Besucher können hier den Weinbau kennenlernen und lokale Spezialitäten verkosten. Die Lage verbindet also Natur, Freizeit und Kultur auf ideale Weise: Sie wohnen oder investieren in einem Gebiet, das sowohl Urlaubsflair als auch Lebensqualität bietet – perfekt für ein Eigenheim, ein Ferienhaus oder ein Bauprojekt an der nahegelegene Mosel.
Die Region ist ein Paradies für alle, die Natur und Bewegung lieben. Ob Wandern durch die Weinberge, Radtouren entlang der Mosel oder Spaziergänge im Naturschutzgebiet „Streuobstwiesen“ – hier eröffnet sich Ihnen eine außergewöhnliche Vielfalt. Kulturell und gastronomisch locken die Nachbarorte Graach, Zeltingen-Rachtig und Traben-Trarbach mit Veranstaltungen, Weinfesten und besonderen Ausflugszielen. Ein Kindergarten und eine Grundschule befinden sich direkt im Ort, weiterführende Schulen, Supermärkte, Ärzte, Apotheken und ein Krankenhaus in Bernkastel-Kues, hier steht Ihnen die Geriatrie und ein Ärztezentrum zur Verfügung. Restaurants, Straußwirtschaften und Weingüter laden dazu ein, die regionalen Spezialitäten direkt vor der Haustür zu genießen.
Zudem gibt es in Wehlen ein aktives Vereinsleben:
- Turn- und Sportverein Wehlen 1910 e.V.
- Sportfischerverein Wehlen 1965 e.V.
- Männergesangsverein “Lyra” Wehlen 1906 e.V.
- Karnevalverein „Wehlener Eulen“ e.V.
- Freiwillige Feuerwehr Wehlen e.V.
- Frauen-Gemeinschaft Wehlen
Regelmäßige Busverbindungen bringen Sie schnell nach Bernkastel-Kues, Traben-Trarbach oder Wittlich. Mit dem Auto erreichen Sie Bernkastel-Kues in ca. 5 Minuten, Wittlich in etwa 20 Minuten und die Universitätsstadt Trier in ca. 45 Minuten. Über die A1 gelangen Sie zudem rasch nach Luxemburg, Koblenz oder Köln. Damit genießen Sie die ruhige Lage an der Mosel, ohne auf kurze Wege in die nächstgrößeren Städte verzichten zu müssen.
Sonstige Angaben
Provisionshinweis: 3.570,00 € inkl. 19% gesetzlicher MwSt.. Wir weisen Sie darauf hin, dass wir für den Käufer und Verkäufer tätig sind.
Pflichtangaben zum Energieausweis: Ein Energieausweis ist hier nicht erforderlich.
Bitte beachten Sie, dass die von uns hier aufgeführten Angaben und Informationen unverbindlich und zur Vorabinformation bestimmt sind. Die Objektbeschreibung wurde lt. Angaben der Eigentümer erstellt. Wir haben die Inhalte sorgfältig recherchiert, trotzdem übernehmen wir keine Gewähr für die Richtigkeit und Vollständigkeit der Angaben. Eine Haftung die aus der Nutzung dieses Angebotes entstehen, insbesondere für evtl. Schäden und Konsequenzen aus Flächenangaben, Grundrisse oder Lageskizzen sind ausgeschlossen. Sämtliche Texte, Bilder und Grafiken sind urheberrechtlich geschützt. Sie dürfen nicht ohne ausdrückliche Genehmigung des Anbieters verwendet, kopiert oder weitergegeben werden.
Unsere Exposés stellen kein Vertragsangebot dar und sind nicht Bestandteil eines Kaufvertrages. Sie dienen lediglich dazu, allgemeine Informationen zum Objekt zur Verfügung zu stellen. Weder Verkäufer noch Makler-S Immobilien und deren Mitarbeiter sind im Rahmen der Objektexposés berechtigt, Beschaffenheitsangaben, Zusicherungen oder Garantien hinsichtlich des Objektes/Grundstücks zu geben. Diese können nur Gegenstand eines noch zu verhandelnden Kaufvertrages sein.