Das Grundstück befindet sich in sehr ruhiger und sehr sonniger Lage am Ortsrand von Attenzell.
Fakten:
- Preis pro m² 210,-- €
- Ein Bebauungsplan liegt vor!
- Wohngebiet (WA)
- GRZ 0,4
- GFZ 0,6
Erschließung:
- Erstmalige Herstellung Flächenerschließung Abwasser/Wasser im Kaufpreis enthalten!
- Erstmalige Herstellung Geschossfläche (25% der Grundfläche) Wasser/Abwasser im Kaufpreis enthalten!
Auflagen der Gemeinde:
- Bauverpflichtung innerhalb von 5 Jahren ab dem Beurkundungstag.
- Selbstnutzungsverpflichtung für 10 Jahre ab Bezugsfertigkeit.
Natur Pur: Baugrundstück in ruhiger und sonniger Ortsrandlage von Kipfenberg/Attenzell
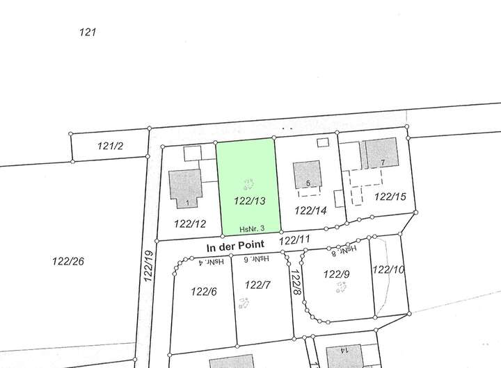
In der Point 3,
85110 Kipfenberg
Auf Karte anzeigen
Finanzierungszertifikat
In nur zwei Minuten zu Ihrem persönlichen Finanzierungszertifkat.
Infos
| Vermarktungsart | Kaufen |
|---|---|
| Grundstücksfläche | 705 m2 |
| Erschließung | Erschlossen |
| Empfohlene Nutzung | Einfamilienhaus |
| Grundflächenzahl (GRZ) | 0.4 |
| Geschossflächenzahl (GFZ) | 0.6 |
| Bebaubar nach | Bebauungsplan |
| Verfügbar ab | sofort |
Kosten
| Miete pro Jahr |
148.050 € |
|---|---|
| Provision | Nein |
Finanzierungsrechner:
Kaufpreis:
600.000 €
Eigenkapital:
600.000 €
Monatliche Rate
0 €
Effektiver Jahreszins
0 %
Sollzinsbindung
10 Jahre
Beschreibung des Objekts
Lage
Attenzell:
Ein Ortsteil der Gemeinde Kipfenberg (7 km) im bayerischen Landkreis Eichstätt, der in der Nähe von Ingolstadt (17 km) und im Naturpark Altmühltal liegt.
Die Einwohnerzahl beträgt ca. 260.
Dank der zentralen Lage (Eichstätt-Neuburg-Ingolstadt) verfügt Attenzell über eine gute regionale Verkehrsanbindung.
Auch überregional ist Nürnberg 80 km und München 95 km schnell zu erreichen.
Die Entfernung zur Autobahn A 9 München-Nürnberg (Anschluss Lenting 14 km und Anschluss Denkendorf 9 km) ist gering.
Sonstige Angaben
Wir würden uns freuen, Sie bei einem persönlichen Besichtigungstermin bzw. Beratungstermin begrüßen zu dürfen.
Fordern Sie unverbindlich mehr Informationen unter 08461/70238 oder unter info@immobilien-mitzam.de an. Bitte geben sie bei ihrer Anfrage die Anschrift sowie Telefonnummer an.