Zum Hauptinhalt springen

Schönes Baugrundstück in ruhiger Sackgassenwohnlage

66663 Merzig
Die vollständige Adresse der Immobilie erhalten Sie vom Anbieter.
Auf Karte anzeigen
Logo ImmoScout24 Logo ImmoScout24
PDF Finanzierungszertifikat

Finanzierungszertifikat

In nur zwei Minuten zu Ihrem persönlichen Finanzierungszertifkat.

  • Zur Vorlage beim Makler oder Verkäufer
  • Vorteile gegenüber anderen Kaufinteressenten
  • Kostenlos und unverbindlich
Finanzierungszertifikat anfragen

Infos

Vermarktungsart Kaufen
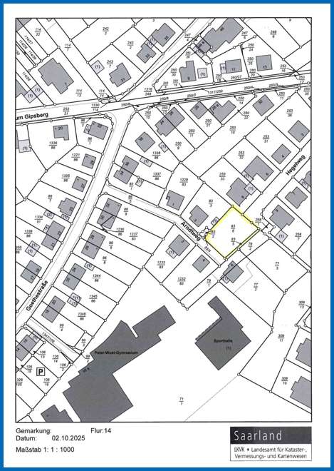
Grundstücksfläche 585 m2
Bebaubar nach Bebauungsplan

Kosten

Miete pro Jahr 148.000 €
Provision 3 % des Kaufpreises zzgl. ges. MwSt.

Finanzierungsrechner:

Kaufpreis: 600.000 €

Eigenkapital: 600.000 €
Monatliche Rate 0 €
Effektiver Jahreszins 0 %
Sollzinsbindung 10 Jahre

Beschreibung des Objekts

                Verkauft wird ein schön geschnittenes Baugrundstück
            

Lage

                Das Grundstück liegt in wunderschöner, ruhiger Sackgassenlage von Merzig
                

Sonstige Angaben

                Die genauen baurechtlichen Möglichkeiten/Festsetzungen möchten Sie bitte direkt beim zuständigen Bauamt in Merzig unter 06861-85-470 erfragen.
           

Grundriss

Katasterplan Katasterplan >

Adresse

66663 Merzig

Interessante Orte

Bäckereien
Schulen
Ärzte

Ansprechpartner