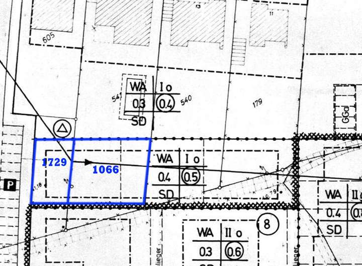
Dieses attraktive Baugrundstück ( Flur 31, Flurstücke 1729 und 1066) liegt im beliebten Wohngebiet Im Deipen Brook in Greven – praktisch und familienfreundlich zugleich. Die Grundschule ist direkt neben dem Grundstück, sodass Kinder morgens nur wenige Schritte bis zum Unterricht haben.
Laut Bebauungsplan ist folgende Bebauung möglich:
• Allgemeines Wohngebiet (WA)
• Offene Bauweise (Einzel- oder Doppelhaus)
• 1 Vollgeschoss (mit ausbaufähigem Dach möglich)
• GRZ 0,4 / GFZ 0,5:
Grundflächenzahl (GRZ): 0,4
→ Es dürfen max. 40 % der Grundstücksfläche überbaut werden.
Beispiel: Bei 600 m² Grundstück = max. 240 m² überbaubare Fläche.
Geschossflächenzahl (GFZ): 0,5
→ Das Verhältnis der gesamten Geschossfläche zur Grundstücksfläche darf 0,5 betragen.
• Satteldach vorgeschrieben
Das Grundstück bietet beste Voraussetzungen für den Bau eines modernen Einfamilien- oder Doppelhauses mit Garten. Die Zuwegung erfolgt über die Straße „Im Deipen Brook“, wo aktuell der Umbau der Parkplätze zur privaten Zufahrt vorgesehen ist. Das wurde mündlich schon vorab mit dem Bauamt besprochen.
Die Erschließung ist noch herzustellen, die Anschlüsse an die Ver- und Entsorgungsleitungen können über diese Zuwegung erfolgen.
Ein ideales Zuhause für Familien, die kurze Wege und eine gute Nachbarschaft gleichermaßen schätzen.
Finanzierungszertifikat
In nur zwei Minuten zu Ihrem persönlichen Finanzierungszertifkat.
Infos
| Vermarktungsart | Kaufen |
|---|---|
| Grundstücksfläche | 600 m2 |
| Erschließung | Unerschlossen |
| Empfohlene Nutzung | Einfamilienhaus |
| Grundflächenzahl (GRZ) | 0.4 |
| Geschossflächenzahl (GFZ) | 0.5 |
| Bebaubar nach | Bebauungsplan |
| Verfügbar ab | sofort |
Kosten
| Miete pro Jahr |
237.000 € |
|---|---|
| Provision |
5,95 % inkl. MwSt Käufercourtage Der Maklervertrag mit uns kommt durch die Inanspruchnahme unserer Maklertätigkeit auf der Basis des Online-Objekt-Exposés zustande. Die Käufercourtage in Höhe von 5,95% auf den Kaufpreis inkl. gesetzlicher Mehrwertsteuer ist bei notariellem Vertragsabschluss verdient und fällig. Die Courtage wird selbstverständlich nur fällig, wenn Sie das Objekt tatsächlich kaufen. |
Finanzierungsrechner:
Kaufpreis:
600.000 €
Eigenkapital:
600.000 €
Monatliche Rate
0 €
Effektiver Jahreszins
0 %
Sollzinsbindung
10 Jahre
Beschreibung des Objekts
Lage
Im Deipen Brook im Grevens Westen direkt neben der Grundschule.
Sonstige Angaben
Bitte haben Sie dafür Verständnis, dass wir eine Bearbeitung Ihrer Anfrage nur vornehmen, wenn uns Rückrufmöglichkeiten vorliegen.
Hat Ihnen dieses Exposé gefallen? Sagen Sie es anderen Besuchern, indem Sie uns bewerten!
Sie finden uns auch bei Facebook - adden Sie uns und profitieren von vielen spannenden Infos rund ums Thema Immobilien und den neuesten Immobilienangeboten.
Sonstiges
GELDWÄSCHE: Als Immobilienmaklerunternehmen ist Jutta Lamboury Immobilien nach § § 1, 2 Abs. 1 Nr. 10, 4 Abs. 3 Geldwäschegesetz (GwG) dazu verpflichtet, vor Begründung einer Geschäftsbeziehung die Identität des Vertragspartners festzustellen und zu überprüfen. Hierzu ist es erforderlich, dass wir die relevanten Daten Ihres Personalausweises festhalten – beispielsweise mittels einer Kopie. Das Geldwäschegesetz (GwG) sieht vor, dass der Makler die Kopien bzw. Unterlagen fünf Jahre aufbewahren muss.
Alle Angaben sind ohne Gewähr und basieren ausschließlich auf Informationen die uns von unserem Auftraggeber übermittelt wurden. Wir übernehmen keine Gewähr für die Vollständigkeit, Richtigkeit und Aktualität dieser Angaben. Zwischenverkauf bleibt vorbehalten. Unsere Angebote sind freibleibend.