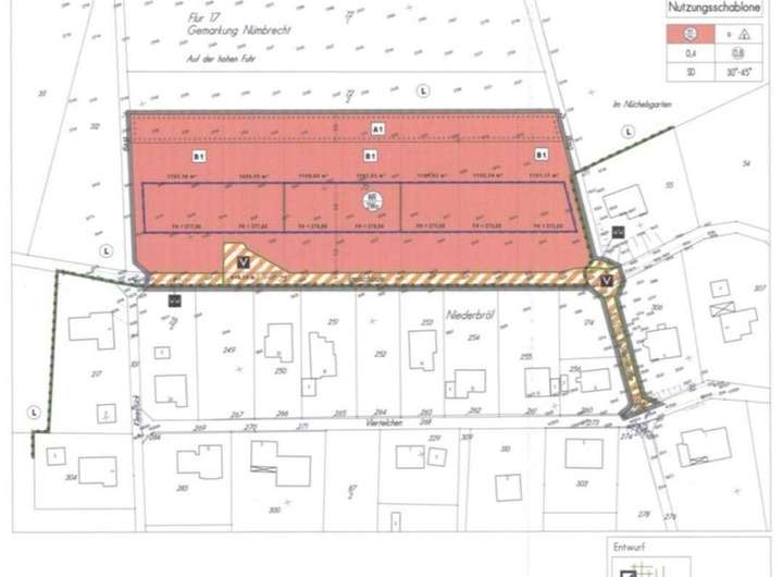
Dieses großzügige Baugrundstück bietet auf 1121 m² ideale Voraussetzungen für Ihr neues Zuhause. Die Fläche ist bereits für eine Bodenplatte vorbereitet, was den Bauprozess erheblich erleichtert. Der Kaufpreis von 195000 € macht dieses Angebot besonders attraktiv.
Zudem wurden bereits die Vorarbeiten zum erstellen einer Bodenplatte für den Bau eines Einfamilienhauses fertig gestellt.
Somit sind diese Kosten von dem Bauherrn nicht mehr zu leisten.
Beim Betreten des Grundstücks fällt sofort die weite, offene Fläche ins Auge, die vielfältige Gestaltungsmöglichkeiten bietet. Ob ein großzügiger Garten, ein Spielbereich für Kinder oder eine Terrasse mit Blick in die Umgebung – hier sind Ihrer Fantasie keine Grenzen gesetzt.
Die Lage des Grundstücks bietet eine ruhige und familienfreundliche Umgebung. Die umliegende Landschaft lädt zu Spaziergängen und Erkundungen ein, während die Nähe zu wichtigen Einrichtungen wie Schulen und Einkaufsmöglichkeiten den Alltag erleichtert.
Ein weiterer Vorteil ist die bereits vorhandene Infrastruktur. Die Anbindung an das Straßennetz ist optimal, sodass Sie schnell und bequem Ihre Ziele erreichen können. Gleichzeitig sorgt die ruhige Lage dafür, dass Sie die Vorzüge eines entspannten Wohnumfelds genießen können.
Die Bebauungsmöglichkeiten sind vielfältig und bieten Raum für individuelle Gestaltungsideen. Ob ein modernes Einfamilienhaus oder ein traditionelles Zuhause – hier können Sie Ihre Wohnträume verwirklichen.
Dieses Grundstück ist eine seltene Gelegenheit, sich in einer begehrten Lage niederzulassen und ein Zuhause nach Ihren Vorstellungen zu schaffen. Nutzen Sie die Chance, Teil dieser lebendigen und dennoch ruhigen Gemeinschaft zu werden.
Baugrundstück in perfekter Lage
51588 Nümbrecht
Die vollständige Adresse der Immobilie erhalten Sie vom Anbieter.
Auf Karte anzeigen
Die vollständige Adresse der Immobilie erhalten Sie vom Anbieter.
Finanzierungszertifikat
In nur zwei Minuten zu Ihrem persönlichen Finanzierungszertifkat.
Infos
| Vermarktungsart | Kaufen |
|---|---|
| Grundstücksfläche | 1.121 m2 |
| Erschließung | Erschlossen |
| Empfohlene Nutzung | Einfamilienhaus |
| Bebaubar nach | Bebauungsplan |
Kosten
| Miete pro Jahr |
195.000 € |
|---|---|
| Provision |
3,57 % inkl. MwSt vom not. Kaufpreis |
Finanzierungsrechner:
Kaufpreis:
600.000 €
Eigenkapital:
600.000 €
Monatliche Rate
0 €
Effektiver Jahreszins
0 %
Sollzinsbindung
10 Jahre
Beschreibung des Objekts
Lage
Nümbrecht-Niederbröl ist ein Ortsteil der Gemeinde Nümbrecht im Bergischen Land in Nordrhein-Westfalen. Der Ort liegt auf halber Strecke zwischen Nümbrecht und Waldbröl und ist von einer malerischen Landschaft mit Wiesen, Wäldern und kleinen Bächen umgeben. In der Umgebung gibt es zahlreiche Wander- und Radwege, die zu Erkundungstouren durch die schöne Natur einladen. Nümbrecht-Niederbröl ist ein ruhiger und beschaulicher Ort, ideal für Naturliebhaber und Erholungssuchende. Die Gemeinde liegt in der Nähe größerer Städte wie Köln und Bonn, was die Anbindung an das Verkehrsnetz erleichtert. Wiehl ist ebenfalls nur 10 Minuten mit dem Auto entfernt. Kindergärten, sämtliche Schulformen, sowie Ärzte, Apotheken und Banken sind auf kurzen Wegen gut erreichbar und auch die gute Anbindung zur Autobahn sorgen für eine umfassende Infrastruktur, die diese Lage so attraktiv macht.
Sonstige Angaben
Sie haben auch ein Haus, eine Wohnung oder ein Gewerbeobjekt zu verkaufen bzw. zu vermieten? Wir sind die deutschlandweiten Immobilienprofis mit vielen Tausend Interessenten und Hunderten Objekten. Rufen Sie uns an, wir beraten Sie gerne!
Die Objektbeschreibung beruht ganz oder zum Teil auf Angaben des Eigentümers. Für die Richtigkeit oder Vollständigkeit übernehmen wir keine Gewähr.
Als Immobilienexperten mit zahlreichen Auszeichnungen bieten wir Ihnen einen Service, der Sie als Verkäufer*in von Beginn an bis weit über den Notartermin hinaus begleitet. Mit unserer langjährigen Erfahrung und der hervorragenden Kenntnis des aktuellen Immobilienmarktes möchten wir gerne auch Sie bei Ihrem Verkauf unterstützen. Schenken Sie uns Ihr Vertrauen! Sie erreichen uns jederzeit unter der kostenfreien Rufnummer 0800 - 646 0 646.