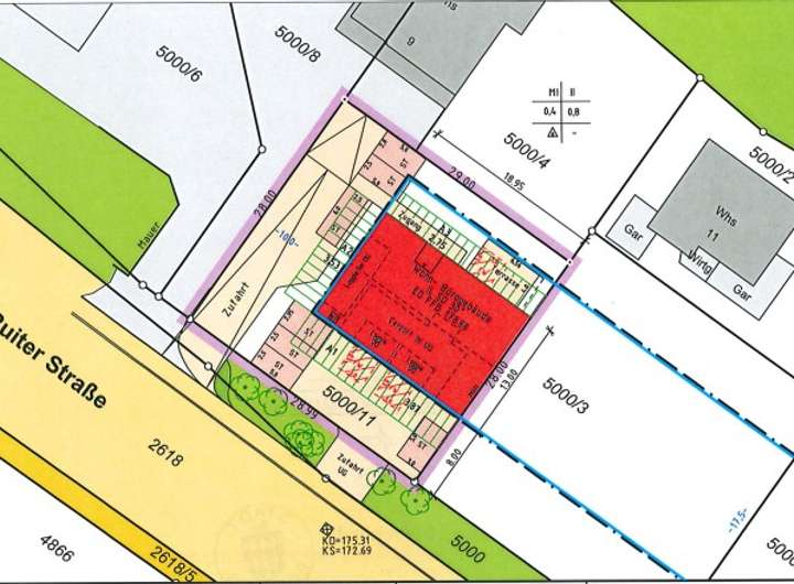
Zum Verkauf steht ein Baugrundstück mit einer Baugenehmigung zur Errichtung eines Mehrfamilienhauses mit 3 Wohnungen und einer Gewerbeeinheit.
Das Baugrundstück hat eine Fläche von ca. 814 m².
Die Bebauung ist bereits vorgeplant:
- EG: Gewerbeeinheit
- OG: 2 Wohnungen
- DG: 1 Wohnung
Die Gesamtfläche der Gewerbeeinheit und den drei geplanten Wohnungen beträgt ca. 454 m².
Wir freuen uns auf ihre Kontaktaufnahme, um Ihnen weitere Details zu erläutern.
Projektiertes Grundstück mit Baugenehmigung zu verkaufen
75015 Bretten
Die vollständige Adresse der Immobilie erhalten Sie vom Anbieter.
Auf Karte anzeigen
Die vollständige Adresse der Immobilie erhalten Sie vom Anbieter.
Finanzierungszertifikat
In nur zwei Minuten zu Ihrem persönlichen Finanzierungszertifkat.
Infos
| Vermarktungsart | Kaufen |
|---|---|
| Grundstücksfläche | 814 m2 |
| Erschließung | Erschlossen |
Kosten
| Miete pro Jahr |
370.000 € |
|---|---|
| Provision |
3,00 % zzgl. 19 % MwSt. |
Finanzierungsrechner:
Kaufpreis:
600.000 €
Eigenkapital:
600.000 €
Monatliche Rate
0 €
Effektiver Jahreszins
0 %
Sollzinsbindung
10 Jahre
Beschreibung des Objekts
Lage
Bretten mit seinen rund 28.000 Einwohnern ist ein aufstrebendes Mittelzentrum zwischen den Oberzentren Karlsruhe, Pforzheim, Stuttgart und Heilbronn. Es bestehen ideale Verkehrsverbindungen zu den Autobahnen A5, A8 und A6 (maximal 25 km).
Durch die Stadtbahnlinien von Karlsruhe, Heilbronn und Bruchsal ist Bretten leicht erreichbar.
Sämtliche Schulen, Kindergärten und Geschäfte zur Abdeckung des täglichen Bedarfs befinden sich in Bretten.
Verkehrsanbindung: Stadtbahnlinie S4 (½stündig), Bundesstraße B 293 Karlsruhe - Heilbronn.
Sonstige Angaben
Bei weiterem Interesse laden wir Sie gerne zu einer persönlichen Besichtigung vor Ort ein. Bitte legen Sie uns dazu eine aktuelle (vorläufige) Finanzierungsbestätigung Ihrer Bank oder einen Kapitalnachweis vor.
Diese Immobilie befindet sich im exklusiven Alleinauftrag von Neumann ImmoConsult GmbH/Neumann Projektbau GmbH. Missbräuchliche Verwendung dieses Angebots in jedweder Form wird bei Bekanntwerden sofort mit allen Rechtsmitteln unterbunden. Kontaktaufnahmen zu den Eigentümern sind strengstens untersagt und werden ausdrücklich nicht gestattet.