Das angebotene Grundstück in Hanglage mit einer Größe von ca. 1.320 m² und unverbaubarer Süd/West-Ausrichtung bietet hierfür hervorragende Optionen. Hier können Sie großzügig wohnen, aber auch Ihr Arbeitsplatz befindet sich in bester Aussichtslage mit herrlichem Blick in die Rheinebene bis hin zum Pfälzer Wald.
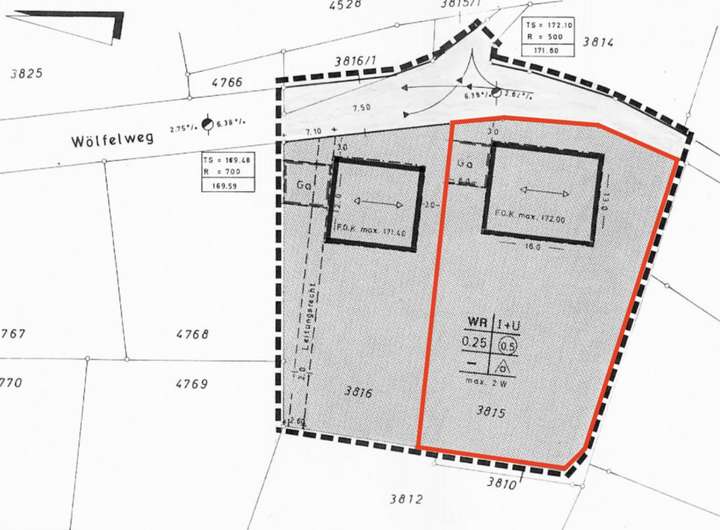
Sie können unmittelbar mit dem Bau Ihres neuen Zuhauses beginnen. Der Bebauungsplan lässt hier 1 Vollgeschoss sowie die Möglichkeit mit 1 weiterem Obergeschoss (ca. 1,15 m Drempel) zu. Die Dachneigung liegt bei ca. 25°.
Zudem besteht die Option auf einer Seite ein freiliegendes Untergeschoss - als eine gläserne Beletage, welche vollumfänglich als Wohnfläche genutzt werden kann, zu.
Die Grundflächenzahl (GRZ) ist 0,25, die Geschossflächenzahl (GFZ) beträgt 0,5. Die Baugrenze liegt bei 13,00 m auf 16,00 m.
Eine mögliche Gesamtgrundfläche liegt bei ca. 624 m².
Exklusives und unbebautes Grundstück in Villenlage mit traumhafter Aussicht!
69181 Leimen
Die vollständige Adresse der Immobilie erhalten Sie vom Anbieter.
Auf Karte anzeigen
Die vollständige Adresse der Immobilie erhalten Sie vom Anbieter.
Finanzierungszertifikat
In nur zwei Minuten zu Ihrem persönlichen Finanzierungszertifkat.
Infos
| Vermarktungsart | Kaufen |
|---|---|
| Grundstücksfläche | 1.320 m2 |
| Erschließung | Erschlossen |
| Empfohlene Nutzung | Einfamilienhaus, Garagen, Garten, Mehrfamilienhaus, Villa, Wald |
| Grundflächenzahl (GRZ) | 0.5 |
| Geschossflächenzahl (GFZ) | 0.25 |
| Bebaubar nach | Bebauungsplan |
| Verfügbar ab | 5.11.2025 |
Kosten
| Miete pro Jahr |
1.490.000 € |
|---|---|
| Provision |
3,57% Im Falle eines notariellen Kaufvertragsabschlusses ist eine Provision in Höhe von 3,57 % (inkl. der gesetzlichen Mehrwertsteuer) auf dem Kaufpreis des Grundstücks zu entrichten. Mit der Verkäuferschaft besteht ebenfalls ein provisionspflichtiger Vertrag in gleicher Höhe. |
Finanzierungsrechner:
Kaufpreis:
600.000 €
Eigenkapital:
600.000 €
Monatliche Rate
0 €
Effektiver Jahreszins
0 %
Sollzinsbindung
10 Jahre
Beschreibung des Objekts
Lage
Der Wölfelweg zählt zu den begehrtesten Adressen in Leimen – ruhig gelegen, sonnig ausgerichtet und umgeben von großzügigen Villenanwesen. Die Hanglage ermöglicht beeindruckende Ausblicke über die Rheinebene bis hin zur Pfalz, während Sie gleichzeitig die Nähe zur Natur genießen. Spaziergänge durch die angrenzenden Weinberge oder entlang des Wichtelpfads beginnen direkt vor der Haustür.
Die Kombination aus exzellenter Wohnlage, hervorragender Anbindung und hoher Lebensqualität macht diesen Standort so besonders.
Heidelberg erreichen Sie in nur wenigen Minuten, ebenso die Autobahnen A5 und A6. Einkaufsmöglichkeiten, Schulen und Freizeitangebote befinden sich in unmittelbarer Umgebung – dennoch genießen Sie hier absolute Ruhe und Privatsphäre.
Ein Ort für Menschen, die das Besondere suchen – naturnah, repräsentativ und mit klarer Perspektive auf Wertbeständigkeit.
Sonstige Angaben
Sollten Sie Interesse an weiteren Informationen haben, freue ich mich auf die Kontaktaufnahme:
Herr Max Mühlegg
HUF HAUS Fachberater
Mobil: 0176 6130 1352
Aus Respekt und in gemeinsamer Absprache mit den Eigentümer, ist ein Finanzierungsnachweis oder vergleichbares Dokument notwendig.
Sollten Sie bei Fragen zur Finanzierung Unterstützung benötigen, so kontaktieren Sie uns ebenfalls.
Über unsere Tochterfirma "HUF Finanzierungsservice" können wir Ihnen ein maßgeschneidertes Angebot unterbreiten.
Wir freuen uns auf Ihre Kontaktaufnahme!