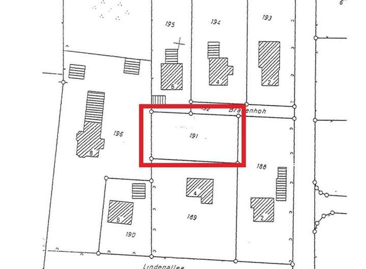
Bei diesem Verkaufsobjekt handelt es sich um ein Grundstück mit 698 m² Fläche in der Brakenhöh 3. Eine Bauvoranfrage zu einer möglichen Bebauung liegt den Verkäufern bzw. uns nicht vor - könnte aber angefragt werden, wenn dies von Interesse ist. Es handelt sich um eine Sackgassenstraße in welcher sich aktuell 3 Häuser befinden. Das Grundstück wurde von den letzten Eigentümern für die nächste Generation zur Bebauung frei gehalten, aber schlussendlich durch diese nie bebaut. Da kein Bebauungsplan für diesen Bereich in Wacken vorhanden ist, richtet sich ein Bauvorhaben nach der Nachbarbebauung im Innenbereich (§ 34 BAU GB). Da auch das angrenzende Grundstück mit Bebauung zur Lindenallee durch die Familie veräußert wird, wird auch dieses Grundstück nun verkauft. Es ist auch möglich beide Grundstücke zu kaufen, hierzu finden Sie ebenfalls eine Verkaufsanzeige von uns.
Baugrundstück in Sackgassenendlage in Wacken nahe der Grundschule // Brakenhöh
Brakenhöh 3,
25596 Wacken
Auf Karte anzeigen
Finanzierungszertifikat
In nur zwei Minuten zu Ihrem persönlichen Finanzierungszertifkat.
Infos
| Vermarktungsart | Kaufen |
|---|---|
| Grundstücksfläche | 698 m2 |
| Erschließung | Teilerschlossen |
| Verfügbar ab | 01.01.2026 |
Kosten
| Miete pro Jahr |
99.000 € |
|---|---|
| Provision |
3,57 % Käuferprovision inkl. MwSt. |
Finanzierungsrechner:
Kaufpreis:
600.000 €
Eigenkapital:
600.000 €
Monatliche Rate
0 €
Effektiver Jahreszins
0 %
Sollzinsbindung
10 Jahre
Beschreibung des Objekts
Lage
Da die am Grundstück befindliche Straße eine Sackgasse ist, handelt es sich um ein ruhiges Wohnumfeld. Aktuell befinden sich 3 Einfamilienhäuser in der Straße. Fußläufig sind die Grundschule Wacken an der Bokelrehmer Straße sowie der Kindergarten Wacken am Dorfplatz schnell erreicht. Von hier aus gehen dann die Hauptstraße sowie die Schenefelder Straße ab, wo sich die Geschäfte des täglichen Bedarfs sowie vieles mehr im direkten Nahbereich befinden:
Tankstelle, Arztpraxis, Apotheke, Imbiss, Kirche, Bäcker, Landgasthof, Bank, Tierarzt, Friseur, Sportverein, Brauerei, Lebensmittel-Discounter, Bäcker/Café, Lebensmittel-Einzelhandel.
Wacken ist eine Gemeinde im Kreis Steinburg in Schleswig-Holstein. Bekannt geworden ist das Dorf mit rund 2.100 Einwohnern durch das Wacken Open Air Festival - das größte Heavy-Metal-Festival der Welt. Hier werden jährlich rund 85.000 Besucher erwartet. Die Gemeinde Wacken wirbt mit dem Slogan "Ländlich und doch zentral" – aufgrund der folgenden kurzen Entfernungen:
- 5 Minuten bis zur Autobahn A23
- 7 Minuten bis zum Nord-Ostsee-Kanal
- 10 Minuten bis zur Kreisstadt Itzehoe
- 25 Minuten bis nach Heide
- 30 Minuten bis nach Brunsbüttel und Neumünster
- 35 Minuten bis nach Elmshorn
- 45 Minuten bis in Metropole Hamburg
- 45 Minuten bis nach Kiel und Bad Segeberg.
Sonstige Angaben
***********************************************************************
Für weitere Angebote besuchen Sie auch unserer Homepage:
www.immo-kiel.de
**********************************************************************