Dieses schöne Eckgrundstück mit Altbestand wird von uns exklusiv angeboten.
Auf einem Teil des Grundstücks befand sich eine Tankstelle, welche gemäß aller Auflagen vollständig rückgebaut wurde.
Es existieren zwei unabhängige Gutachten, die bescheinigen, dass jene eingeebnete Teilfläche frei von tankstellenspezifischen Verunreinigungen ist.
Die planungsrechtliche Zulässigkeit ist nach § 34 BauGB zu beurteilen.
Auf dem sehr gut geschnittenen, annähernd quadratischen Eckgrundstück lassen sich diverse lukrative Bebauungsoptionen realisieren..
Verbindliche Auskünfte hierzu, bitten wir Sie bei der Lokalbaukommission München einzuholen.
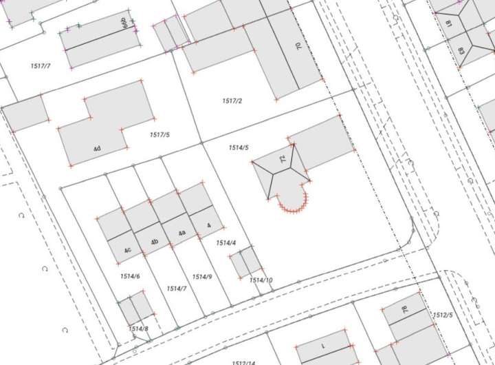
Die Grundstücksgröße beträgt lt. Grundbuch 1.270 m².
Das Grundstück befindet sich im sog. Sanierungsgebiet "Aubing-Neuaubing-Westkreuz".
Auf dem Grundstück verbleibt ein älteres, unterkellertes Gebäude (2-Fam. Haus), sowie ein daran angebautes Nebengebäude.
Die Kosten für den Abriss sind von der Käuferseite zu übernehmen.
Ein Energieausweis ist nicht erforderlich, da es sich um ein Abrissobjekt handelt.
Ein Besitzübergang ist zeitnah möglich.
Sollte Ihnen ein von uns angebotenes und nachgewiesenes Objekt bereits bekannt sein, so müssen Sie uns dies innerhalb von 3 Tagen nach Absendung oder Aushändigung dieses Exposés, unter Angabe des Anbieters, schriftlich mitteilen. Anderenfalls gilt unser Vermittlungsnachweis, vorbehaltlich zweifelsfreier Wiederlegung als erbracht.
Belehrung über Widerrufsrecht:
Sie können Ihre Vertragserklärung innerhalb von 14 Tagen ohne Angabe von Gründen in Textform widerrufen. Die Frist beginnt nach Erhalt dieser Belehrung in Textform, jedoch nicht vor Vertragsabschluss und auch nicht vor Erfüllung dieser Informationspflichten gemäß Artikel 246 §2 i.V.m. §1 Absatz 1 und 2 EGBGB. Zur Wahrung der Widerrufsfrist genügt die rechtzeitige Absendung des Widerrufs. Der Widerruf ist zu richten an:
L. Zimmermann Immobilien, Lisetta Zimmermann, Cochemstr. 8, 81375 München.
Besonderer Hinweis: Das Widerrufsrecht erlischt vorzeitig, wenn von beiden Seiten der Vertrag auf Ihren ausdrücklichen Wunsch vollständig erfüllt ist, bevor Sie Ihr Widerrufsrecht ausgeübt haben.
Neuaubing, lukrativ bebaubares Eckgrundstück mit Altbestand zu verkaufen!
Limesstr. 72,
81243 München
Auf Karte anzeigen
Finanzierungszertifikat
In nur zwei Minuten zu Ihrem persönlichen Finanzierungszertifkat.
Infos
| Vermarktungsart | Kaufen |
|---|---|
| Grundstücksfläche | 1.270 m2 |
| Erschließung | Erschlossen |
| Empfohlene Nutzung | Mehrfamilienhaus |
| Bebaubar nach | wie Nachbarbebauung |
| Verfügbar ab | sofort |
Kosten
| Miete pro Jahr |
0 € |
|---|---|
| Provision |
3,57 % aus dem verbrieften Kaufpreis inkl. 19 % MwSt. Die Käuferprovision ist nach Abschluss des notariellen Kaufvertrages verdient und fällig. |
Finanzierungsrechner:
Kaufpreis:
600.000 €
Eigenkapital:
600.000 €
Monatliche Rate
0 €
Effektiver Jahreszins
0 %
Sollzinsbindung
10 Jahre
Beschreibung des Objekts
Lage
Der Stadtteil Aubing befindet sich in westlicher Stadtrandlage der Landeshauptstadt München. Seit 1992 gehört Aubing zum Stadtbezirk 22 Aubing-Lochhausen-Langwied.
Zu Aubing gehören auch Neuaubing und die Siedlung "Am Westkreuz".
Im Osten grenzt der Stadtteil an Pasing und Obermenzing, im Norden an Lochhausen.
Im Westen befindet sich die Stadtgrenze Münchens, hier entsteht seit 2006 in der Nähe von „Gut Freiham“ der neue Stadtteil Freiham, der im Westen durch den Autobahnring A99 mit dem Aubinger Autobahntunnel begrenzt ist.
Neuaubing ist zu einer sehr beliebten Wohngegend, besonders auch für junge Familien geworden, da es eine gute Wohnqualität zu erschwinglichen Preisen mit viel Grün und Natur in direkter Umgebung, sowie eine schnelle Erreichbarkeit der Stadtmitte Münchens bietet.
Ein Straßenschild an der Bodenseestraße verortet den Beginn Neuaubings westlich der Limesstraße. Die Bushaltestelle Neuaubing West liegt im Norden Neuaubings, nahe der S-Bahn-Station Aubing. Die S-Bahnstation S4 Aubing steht alternativ zur Verfügung.
Der Stadtteil Neuaubing ist durch die S-Bahnstation S8 Neuaubing, die in ca. 8 Minuten fußläufig zu erreichen ist, sowie auch die Umgehungsautobahn A 99, sehr gut an die Münchner Innenstadt angebunden.
In Neuaubing erwartet Sie eine sehr gute Infrastruktur, zahlreiche Einzelhandelsgeschäfte decken den täglichen Bedarf, zudem gibt es Schulen, Kindergärten, Ärzte und Apotheken in unmittelbarer Nähe.
Im Norden des Bezirks liegt das Erholungsgebiet Langwieder See, mit drei Seen, die im Sommer zu Badeausflügen und zum Picknick einladen. Im Westen liegt die Aubinger Lohe, ein großes Waldgebiet mit einer Vielzahl von Spazierwegen und einigen kleineren Wasserflächen. Sie ist Teil des bayerischen Landschaftsschutzgebietes, wunderbar für ausgedehnte Spaziergänge, zum Joggen und für Radtouren geeignet.
Sonstige Angaben
Die Angaben zum Objekt erfolgen im Namen unserer Auftraggeber*innen und dienen einer ersten Information, als Rechtsgrundlage gilt allein der notariell abgeschlossene Kaufvertrag.
Wir behalten uns das Recht vor, Änderungen oder Ergänzungen der bereitgestellten Informationen jederzeit vorzunehmen.
Für die Richtigkeit und Vollständigkeit wird keine Haftung übernommen.
Sämtliche Bilder und graphische Darstellungen sind Eigentum von L. Zimmermann Immobilien und dürfen nicht durch Dritte verwendet oder an Dritte weitergegeben werden.
Mit der Anfrage auf dieses Objekt erklärt der Interessent seine ausdrückliche Einwilligung für die Kontaktaufnahme per Telefon oder E-Mail durch uns.
Entspricht dieses Angebot Ihren Vorstellungen?
Dann kontaktieren Sie uns bitte einfach über das Kontaktformular.
Um Ihre Objektanfrage schnell bearbeiten zu können, bitten wir Sie um Angabe Ihrer Telefonnummer und Ihrer vollständigen Adresse.
Bitte beachten Sie unsere Hinweise zum Datenschutz (siehe Anlage).
Gerne informieren wir Sie über weitere Details zur Immobilie und laden Sie zu einer umfassenden Besichtigung ein!
Ihren Ansprechpartner, Herrn Zimmermann erreichen Sie unter Telefon 0171 / 797 22 90..