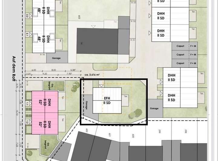
In einer ruhigen, familienfreundlichen Neubausiedlung liegt dieses attraktive Baugrundstück zum Verkauf. Die kleine Siedlung umfasst nur wenige Wohneinheiten und vermittelt dadurch ein harmonisches und überschaubares Wohnumfeld. Das Grundstück eignet sich ideal für die Errichtung eines Einfamilienhauses mit Garage und bietet ausreichend Platz für individuelle Gestaltungsmöglichkeiten.
Das Grundstück ist gemäß dem gültigen Bebauungsplan für den Bau eines Einfamilienhauses zugelassen. Eine Einzelgarage ist ebenfalls vorgesehen. Die Bebauung kann entsprechend den örtlichen Bauvorschriften erfolgen - gerne erhalten Sie bei Interesse weitere Unterlagen wie den Bebauungsplan oder mögliche Bebauungsvarianten.
Das Grundstück ist voll erschlossen.
Baugrundstück - Freihstehendes Einfamilienhaus in ruhiger Lage
46354 Südlohn
Die vollständige Adresse der Immobilie erhalten Sie vom Anbieter.
Auf Karte anzeigen
Die vollständige Adresse der Immobilie erhalten Sie vom Anbieter.
Finanzierungszertifikat
In nur zwei Minuten zu Ihrem persönlichen Finanzierungszertifkat.
Infos
| Vermarktungsart | Kaufen |
|---|---|
| Grundstücksfläche | 350 m2 |
| Erschließung | Erschlossen |
| Empfohlene Nutzung | Einfamilienhaus |
| Bebaubar nach | Bebauungsplan |
Kosten
| Miete pro Jahr |
129.000 € |
|---|---|
| Provision |
6 % inkl. gesetzl. MwSt. vom Kaufpreis, fällig nach notarieller Beurkundung |
Finanzierungsrechner:
Kaufpreis:
600.000 €
Eigenkapital:
600.000 €
Monatliche Rate
0 €
Effektiver Jahreszins
0 %
Sollzinsbindung
10 Jahre
Beschreibung des Objekts
Lage
Südlohn und Oeding - gemeinsam und europaaktiv!
Unter diesem Motto präsentiert sich die Gemeinde Südlohn mit den beiden Ortsteilen Südlohn und Oeding.
Beide Ortsteile haben sich in den letzten Jahren enorm entwickelt.
In Oeding wurde im Ortsmittelpunkt ein Ärztehaus, eine Apotheke und ein Dienstleistungszentrum errichtet, die zusammen mit dem Rathaus den neuen Dorfplatz umschließen.
Mit der zuvor vorgenommenen Ansiedlung großer Lebensmittelmärkte wurde ein erster Schritt zur Schaffung eines neuen Zentrums neben dem historischen Ortskern getan.
Die günstige Infrastruktur, durch die Nähe zur Autobahn A 31, die über die B 525 in zehn Autominuten zu erreichen ist, ist als Standortvorteil zu werten. Weiterhin stellt sich die Lage der Gemeinde an der Grenze zu den Niederlanden im vereinten Europa nun als eine wirtschaftliche Chance dar. Neue Märkte und Absatzmöglichkeiten liegen direkt vor der Haustür.
Viele Pluspunkte lassen Südlohn und Oeding als Orte erscheinen, in denen es sich gut leben und arbeiten lässt.
Sonstige Angaben
Haftungsausschluss für inhaltliche Richtigkeit übermittelter Daten: Der Makler weist darauf hin, dass für die inhaltliche Richtigkeit der übermittelten Daten des oben genannten Objektes nicht gehaftet werden kann, da er diese vom Eigentümer lediglich zur Verfügung gestellt bekommen hat.
Unsere Angebote sind freibleibend. Zwischenverkauf oder -vermietung, Irrtum und Auslassungen bleiben vorbehalten. Mit dieser Immobilienanfrage erklärt sich der Interessent einverstanden, dass die Butzke & Schroer Real Invest GmbH ihn bzgl. dieses und weiterer Angebote telefonisch, schriftlich oder per E-Mail-Kontakt erfasst und informiert.
Bitte richten Sie Ihre Anfrage an:
info@bs-invest.de
Wir bitten um Ihr Verständnis, dass wir die vollständigen Angaben zur Immobilie nur übermitteln können, wenn uns alle Kontaktdaten des Interessenten (Postanschrift, Telefon, E-Mail-Adresse) vorliegen.Haftungsausschluss für inhaltliche Richtigkeit übermittelter Daten: Der Makler weist darauf hin, dass für die inhaltliche Richtigkeit der übermittelten Daten des oben genannten Objektes nicht gehaftet werden kann, da er diese vom Eigentümer lediglich zur Verfügung gestellt bekommen hat.
Unsere Angebote sind freibleibend. Zwischenverkauf oder -vermietung, Irrtum und Auslassungen bleiben vorbehalten. Mit dieser Immobilienanfrage erklärt sich der Interessent einverstanden, dass die Butzke & Schroer Real Invest GmbH ihn bzgl. dieses und weiterer Angebote telefonisch, schriftlich oder per E-Mail-Kontakt erfasst und informiert.
Bitte richten Sie Ihre Anfrage an:
info@bs-invest.de
Wir bitten um Ihr Verständnis, dass wir die vollständigen Angaben zur Immobilie nur übermitteln können, wenn uns alle Kontaktdaten des Interessenten (Postanschrift, Telefon, E-Mail-Adresse) vorliegen.