Unsere Gesellschaft verfügt im Rahmen eines Allein-Verkaufsauftrages über ein sehr schönes Grundstück am süd-östlichen Stadtrand von Erding. (mit dem Fahrrad in 7 Minuten ins Zentrum!)
Das gesamte Grundstück umfasste 1931 m² und wurde am 22.8.25 neu vermessen und geteilt in ein Ostgrundstück mit 965m² = VERKAUFT - und ein Westgrundstück mit 966m² - zu kaufen -
Das Grundstück befindet sich nicht in einen Bebauungsplangebiet und kann deshalb wie die Nachbarschaft bebaut werden. Vorteil: Sie können im wesentlichen bauen was Sie sich persönlich vorstellen (z.B. Walmdach oder Kubusbaukörper!)
Die Grundstücksteile eignen sich für Bauherren die an einen größeren Grundstück Gefallen haben - Sie können hier im südlichen Grundstücksbereich auch einen größeren Schwimmteich realisieren!
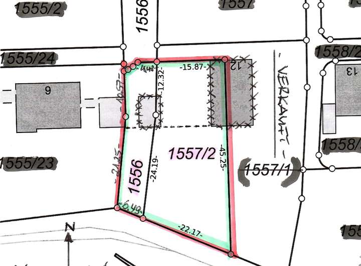
Das westliche Baugrundstück (im Lageplan grün-rot umrandet) hat eine Breite von ca.24m und eine durchschnittliche Länge von 41,5m
Finanzierungszertifikat
In nur zwei Minuten zu Ihrem persönlichen Finanzierungszertifkat.
Infos
| Vermarktungsart | Kaufen |
|---|---|
| Grundstücksfläche | 966 m2 |
| Erschließung | Erschlossen |
| Empfohlene Nutzung | Einfamilienhaus |
| Geschossflächenzahl (GFZ) | 0.5 |
| Bebaubar nach | wie Nachbarbebauung |
| Verfügbar ab | sofort |
Kosten
| Miete pro Jahr |
920.000 € |
|---|---|
| Provision |
3,57% inkl.ges.Mwst. |
Finanzierungsrechner:
Kaufpreis:
600.000 €
Eigenkapital:
600.000 €
Monatliche Rate
0 €
Effektiver Jahreszins
0 %
Sollzinsbindung
10 Jahre
Beschreibung des Objekts
Lage
Das Grundstück befindet sich in nördlicher Richtung bei der B 388 (Taufkirchener Strasse) und in südlicher Richtung an der Verlängerung der Anton-Bruckner-Str. Richtung Dorfen (St.2084).
Trotzdem ist die Lage als ruhig einzustufen. Die Nachbarbebauung besteht überwiegend aus Ein-/Zwei-Familien-Häusern bzw. Doppelhäusern.
Sie vermitteln eine ruhige und gepflegte Nachbarschaft.
Das Zentrum, die S-Bahn und sehr gute Einkaufsmöglichkeiten sind gut zu erreichen.
Sonstige Angaben
Das Westgrundstück bietet folgende Vorteile:
- schöne ruhige Lage, perfekter
Grundstücks-Zuschnitt, fast ebenerdig
- freie unverbaubare Grün-Sicht nach
Süden
- Vermessung im Grundbuch
abgeschlossen
-Abbruch des Bestandshauses erledigt
-keine Vorlaufkosten für Abbruch etc.!
-sofortiger Beginn Bauplanung für Ihr
Wunschhaus möglich!
- Im südlichen / westlichen / östlichen und nördlichen Bereich der Nachbargrundstücke befindet sich zum Teil schöner alter Baumbestand
- das beigefügte Foto "Bebauung" ist nur als mögliches Beispiel zu verstehen!
- Im beigefügten Lageplanausschnitt ist das zu verkaufende Grundstück farblich grün-rot umrandet = ZU VERKAUFEN
Für die Grundstücke besteht kein Bebauungsplan, die Neubauten richten sich nach der Nachbarbebauung - so daß hier Ein-/Zweifamilienhäuser/DHH sowohl mit Sattel/Walmdach-Eindeckung oder Kubusbauten möglich sind! GFZ: 0,5
Für Besichtigungen / Besprechungen stehen wir Ihnen nach Absprache jederzeit gerne zur Verfügung.
Weitere Dokumente
bayernatlas_20250930132650Ausschnitt Lageplan-Westgrunds