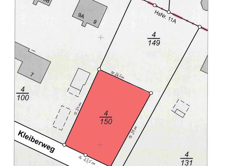
Das 983 m² große Baugrundstück ist optimal nach Süd-Westen ausgerichtet und liegt in einer ruhigen Anliegerstraße. Das Grundstück wurde zwischenzeitlich gerodet. Das Zentrum von Holm-Seppensen ist fußläufig erreichbar. Für dieses Gebiet existiert kein Bebauungsplan. Das heißt, dass sich die neue Bebauung in die vorhandene einfügen muss (gem. § 34 BauGB). Eine Bebauung mit einem Einfamilienhaus oder einem Doppelhaus in eingeschossiger Bauweise ist möglich. Die zulässige Grundfläche beträgt, laut Rücksprache mit dem Bauamt in Buchholz, ca. 150 m². Das Grundstück kann an die öffentliche Kanalisation angeschlossen werden. Alle Versorgungsleitungen liegen in der Anliegerstraße. Bitte informieren Sie sich in der zuständigen Bauabteilung, ob sich die von Ihnen geplante Bebauung realisieren lässt.
Zentral und ruhig gelegen!
21244 Buchholz in der Nordheide
Die vollständige Adresse der Immobilie erhalten Sie vom Anbieter.
Auf Karte anzeigen
Die vollständige Adresse der Immobilie erhalten Sie vom Anbieter.
Finanzierungszertifikat
In nur zwei Minuten zu Ihrem persönlichen Finanzierungszertifkat.
Infos
| Vermarktungsart | Kaufen |
|---|---|
| Grundstücksfläche | 983 m2 |
| Erschließung | Erschlossen |
| Bebaubar nach | wie Nachbarbebauung |
| Verfügbar ab | nach Vereinbarung |
Kosten
| Miete pro Jahr |
289.000 € |
|---|---|
| Provision |
3,57 % inkl. ges. MwSt. |
Finanzierungsrechner:
Kaufpreis:
600.000 €
Eigenkapital:
600.000 €
Monatliche Rate
0 €
Effektiver Jahreszins
0 %
Sollzinsbindung
10 Jahre
Beschreibung des Objekts
Lage
Holm-Seppensen ist ein begehrter Ortsteil von Buchholz mit ca. 7.000 Einwohnern und einer guten Infrastruktur. Im Ortskern befinden sich zahlreiche Fachgeschäfte, Ärzte, eine Apotheke, Supermärkte und Restaurants, so dass Einkaufsmöglichkeiten und Lebensqualität über den täglichen Bedarf hinaus bestehen. Die Mühlenschule kann bis zur 4. Klasse besucht werden. Ansonsten stehen Schulbusse für weiterführende Schulen in Buchholz zur Verfügung. Holm-Seppensen hat einen eigenen Bahnhof und ist dem Hamburger Verkehrsverbund angeschlossen. Ebenso gibt es eine direkte Busverbindung nach Buchholz mit kurzer Taktung. Die Innenstadt von Buchholz ist bequem in wenigen Minuten erreichbar.
Sonstige Angaben
VERBRAUCHERINFO
1. Maklerleistung ist der Nachweis der Gelegenheit zum Abschluss eines Vertrages bzw. Vermittlung eines Vertrages über eine Immobilie gegen die Courtagezahlungspflicht des Kunden
2. Unternehmer,Anschrift,Beschwerdeadressat
LBSi NordWest, Himmelreichallee 40, 48149 Münster, Tel:0251/973233-997, eMail:info@lbsi-nw.de
GF:Martin Englert, Volker Goldbeck
3. Es besteht ein Widerrufsrecht
4. Weitere Infos: verbraucherinfo.lbsi-nordwest.de
Weitere Dokumente
BaufinanzierungWohlfühlen ist einfach