Bebaubarkeit und Nutzungsmöglichkeiten!
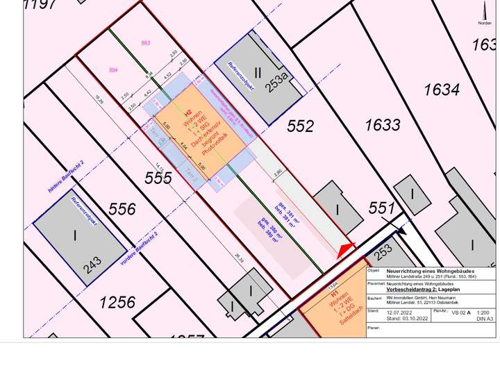
Das ca. 1.180 m² große Grundstück ist gemäß dem Bebauungsplan BS Billstedt (siehe Anlage) bebaubar.
Auf den vorderen Grundstücken befinden sich jeweils Reihenhäuser mit ca. 80 m² Wohnfläche pro Einheit. Die Bebauung der hinteren Grundstücke ist ebenfalls möglich und eröffnet somit zusätzliche Nutzungspotenziale.
Für die Bebauung der hinteren Grundstücke wird empfohlen, einen Bauvorbescheid zu beantragen. Aufgrund der besonderen Möglichkeit, die vier Grundstücke sowie mindestens ein weiteres angrenzendes Grundstück zu erwerben, ergeben sich vielversprechende Chancen für eine weitergehende Bebauung.
Infrastruktur und Anschlüsse
Die Grundstücke verfügen über eigene Anschlüsse und sind bestens erschlossen. Zu den vorhandenen Versorgungsleitungen gehören:
Internetanschluss (Glasfaser)
Wasser
Strom
Gas
Zentrale Abwasserentsorgung
Die Grundstücke setzen sich aus vier Flurstücken zusammen. Zudem besteht die Möglichkeit, mindestens ein weiteres angrenzendes Grundstück zu erwerben, was zusätzliche Gestaltungsmöglichkeiten eröffnet.
Positiver Bauvorbescheid! 4 Baugrundstücke in Billstedt mit Altbestand. Neubau mit mind. 4WE möglich
22117 Hamburg
Die vollständige Adresse der Immobilie erhalten Sie vom Anbieter.
Auf Karte anzeigen
Die vollständige Adresse der Immobilie erhalten Sie vom Anbieter.
Finanzierungszertifikat
In nur zwei Minuten zu Ihrem persönlichen Finanzierungszertifkat.
Infos
| Vermarktungsart | Kaufen |
|---|---|
| Grundstücksfläche | 1.180 m2 |
| Erschließung | Erschlossen |
| Empfohlene Nutzung | Reihenhaus |
| Bebaubar nach | Bebauungsplan |
| Verfügbar ab | sofort |
Kosten
| Miete pro Jahr |
0 € |
|---|---|
| Provision |
7,14% inkl. MwSt. 7,14 % Käuferprovision inkl. MwSt., verdient und fällig mit Beurkundung des notariellen Kaufvertrages an die Fa. RN Immobilien GmbH. |
Finanzierungsrechner:
Kaufpreis:
600.000 €
Eigenkapital:
600.000 €
Monatliche Rate
0 €
Effektiver Jahreszins
0 %
Sollzinsbindung
10 Jahre
Beschreibung des Objekts
Lage
Billstedt liegt im Osten von Hamburg und grenzt direkt an den Süden Stormarns. Diverse Sportvereine, ein Freizeitbad, sowie der Öjendorfer Park bieten Möglichkeiten zur aktiven Freizeitgestaltung.
Einkaufsmöglichkeiten sowie Schulen, Kindergärten, Ärzte und Restaurants bieten eine ausreichende Rundumversorgung. Billstedt hat einen unmittelbaren Anschluss an die Bundesautobahn A 1 Hamburg-Lübeck bzw. in Richtung Süden Hannover/Bremen.
Über einen Abzweig von der A 1 Richtung Lübeck ist die BAB A 24 Hamburg/Berlin zu erreichen. Außerdem ist die Hamburger Innenstadt von Billstedt aus über die B 5 in ca. 15 Minuten erreichbar.
Der Flughafen Hamburg-Fuhlsbüttel ist ca. 25 Kilometer weit entfernt. Buslinien des HVV's, sowie die gegenüberliegende U-Bahn-Station Steinfurther Allee vervollständigen die vorzügliche Verkehrsanbindung.
Sonstige Angaben
Der Maklervertrag mit uns und/oder unserem Beauftragten kommt durch schriftliche Vereinbarung oder durch die Inanspruchnahme unserer Maklertätigkeit auf der Basis des Objekt-Exposés und seiner Bedingungen zustande. Die Käufercourtage in Höhe von 7,14% auf den Kaufpreis einschließlich gesetzlicher Mehrwertsteuer ist bei notariellem Vertragsabschluss verdient und fällig. Die Fa. RN Immobilien GmbH und ggf. deren Beauftragte erhält einen unmittelbaren Zahlungsanspruch gegenüber dem Käufer (Vertrag zugunsten Dritter, § 328 BGB) und ist bei notarieller Beurkundung fällig.
Weitere Dokumente
BSBillstedtFlurkarte markiert
Vorbescheid 29.03.2023