Wohnen in Dessau - Roßlau, eine urbane Stadt mit viel Grün und historischem Hintergrund, von Bauhausarchitektur bis zum Dessau-Wörlitzer Gartenreich (Weltkulturerbe) bietet die Doppelstadt ein lebenswertes Umfeld.
Von Dessau - Roßlau bis Leipzig - Mitte sind es ca. 40 Autominuten, nach Berlin Wilmersdorf / Zehlendorf ca. 1h 20min, der Anschluss zur A9 ist von der "Hirtenhausiedlung" in 15 min zu erreichen.
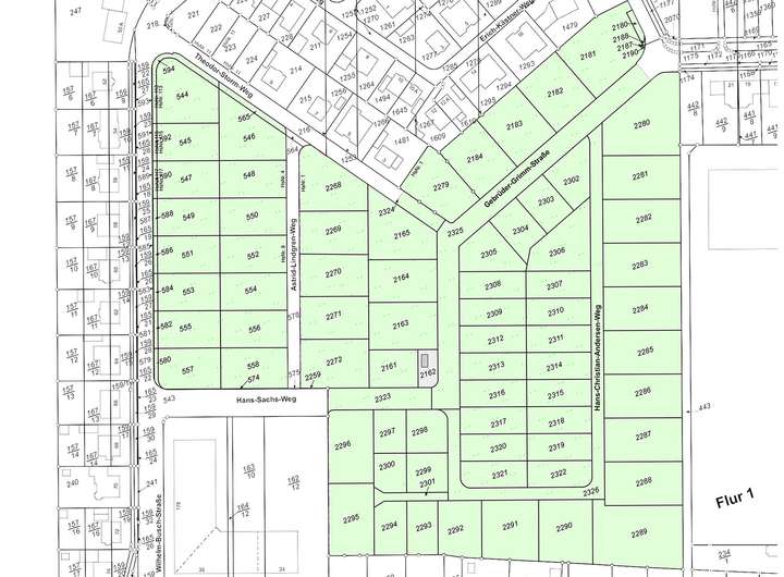
Das Wohngebiet "Hirtenhau" befindet sich in Dessau-Roßlau im Stadtteil Kochstedt.
Unmittelbar an das Baugebiet angrenzend befindet sich eine Schule, ein Supermarkt, das Gewerbegebiet mit allen Einkaufsmöglichkeiten erreicht man in ca.10 min, bis zu Stadt - Mitte sind es 7 km.
Neben Baugrundstücken zur individuellen Bebauung ohne Bauträgerbindung entstehen durch die IFC-Wohnbau GmbH bis zu 50 Neubauten, schlüsselfertig errichtet, können diese zum Festpreis erworben werden, hierbei wurde auf die Anforderungen der Energieeffizienz geachtet, einschließlich Vorrüstung für Solar und Ladeeinrichtungen für Elektrofahrzeuge.
In anliegenden Plänen erkenne Sie, welche Grundstücke zur freien Bebauung angeboten werden, wir sind bemüht die Übersicht ständig zu aktualisieren.
Bei Interesse wenden Sie Sich gern an unsere Mitarbeiter, Sie erhalten alle relevanten Informationen um eine Entscheidung für Ihr zukünftiges Bauprojekt treffen zu können.
Bei Bedarf kann Ihnen unsere IFC - Finanz GmbH ein Finanzierungsangebot unterbreiten, die kompetenten Mitarbeiter verfügen über vielfältige Möglichkeiten eine passende Finanzierung für Sie darzustellen.
Erschlossene Baugrundstücke in Dessau-Kochstedt - an der Wilhelm-Busch-Straße
06847 Dessau-Roßlau
Die vollständige Adresse der Immobilie erhalten Sie vom Anbieter.
Auf Karte anzeigen
Die vollständige Adresse der Immobilie erhalten Sie vom Anbieter.
Finanzierungszertifikat
In nur zwei Minuten zu Ihrem persönlichen Finanzierungszertifkat.
Infos
| Vermarktungsart | Kaufen |
|---|---|
| Grundstücksfläche | 685 m2 |
| Erschließung | Erschlossen |
| Empfohlene Nutzung | Doppelhaus, Einfamilienhaus, Villa |
| Grundflächenzahl (GRZ) | 0.3 |
| Geschossflächenzahl (GFZ) | 2 |
| Bebaubar nach | Bebauungsplan |
| Verfügbar ab | Sofort |
Kosten
| Miete pro Jahr |
111.175 € |
|---|---|
| Provision | Nein |
Finanzierungsrechner:
Kaufpreis:
600.000 €
Eigenkapital:
600.000 €
Monatliche Rate
0 €
Effektiver Jahreszins
0 %
Sollzinsbindung
10 Jahre
Beschreibung des Objekts
Lage
Standort:
Dessau-Kochstadt / Hirtenhausiedlung
Typ:
Baugrundstücke
Grundstücksfläche ca.:
685 - 1.295 m²
Erschließung:
Die Erschließung ist in vollem Gange - sämtlichen Medien (Elektro, Wasser, Abwasser und Internet) werden/sind bis 1 m auf das Grundstück erschlossen
Kaufpreis:
155,00 €/qm zzgl. einmalig 5.000,00 € Anschlusskosten
Sonstige Angaben
Des weiteren besteht die Möglichkeit schlüsselfertige Objekte in diesem Baugebiet zu erwerben.
Referenz: Bild 7
Weitere Dokumente
B-PlanKatasterplan