Ihr neues Zuhause auf ca. 1.010 m² in einer Baulücke in einem gewachsenen, schönen Umfeld!
Errichten Sie Ihr individuelles Traumhaus auf einem ca. 1.010 m² großen Grundstück in einer attraktiven Baulücke. Die zentrale, jedoch ruhige Lage bietet schnellen Zugang zum öffentlichen Nahverkehr und zu den Geschäften des täglichen Bedarfs.
Dank der freien Bauweise nach §34 BauGB sind Sie in Ihrer Planung völlig flexibel: Ihr Haus muss sich lediglich in die Umgebungsbebauung einfügen, sodass Sie bei der Wahl des Grundrisses, der Dachform und -neigung sowie der Gestaltung Ihres Vorgartens Ihrer Kreativität freien Lauf lassen können. Der Grundstückszuschnitt sowie die Westausrichtung bieten Ihnen nicht nur viele Sonnenstunden, sondern auch angenehme, warme Sommerabende.
Bauvoranfrage:
Eine Bauvoranfrage wurde bereits gestellt und positiv entschieden, was Ihnen Planungssicherheit für Ihr Bauvorhaben bietet.
Infrastruktur und Versorgungsleitungen:
Versorgungsleitungen für Glasfaser, Strom und Wasser sind bereits im vorderen Bereich des Grundstücks vorhanden. Der Kanalanschluss befindet sich in der Straße. Der Anschluss an die entsprechenden Leitungen muss jedoch auf eigene Kosten bis zum Grundstück verlegt werden. Entsprechende Leitungs- und Kanalpläne liegen uns vor und können auf Wunsch gerne eingesehen werden.
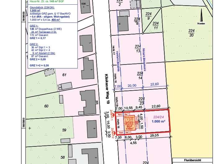
Baugrundstück in bester Lage mit positivem Bauvorbescheid für Ihr Einfamilien- oder Doppelhaus!
19089 Friedrichsruhe
Die vollständige Adresse der Immobilie erhalten Sie vom Anbieter.
Auf Karte anzeigen
Die vollständige Adresse der Immobilie erhalten Sie vom Anbieter.
Finanzierungszertifikat
In nur zwei Minuten zu Ihrem persönlichen Finanzierungszertifkat.
Infos
| Vermarktungsart | Kaufen |
|---|---|
| Grundstücksfläche | 1.000 m2 |
| Erschließung | Teilerschlossen |
| Empfohlene Nutzung | Doppelhaus, Einfamilienhaus, Villa |
| Bebaubar nach | wie Nachbarbebauung |
| Verfügbar ab | sofort |
Kosten
| Miete pro Jahr |
69.000 € |
|---|---|
| Provision |
5,95% inkl. MwSt. 5,95% Käuferprovision inkl. MwSt., verdient und fällig mit Beurkundung des notariellen Kaufvertrages an die Fa. RN Immobilien GmbH. |
Finanzierungsrechner:
Kaufpreis:
600.000 €
Eigenkapital:
600.000 €
Monatliche Rate
0 €
Effektiver Jahreszins
0 %
Sollzinsbindung
10 Jahre
Beschreibung des Objekts
Lage
Ruthenbeck/Friedrichsruhe – Eine idyllische Gemeinde im Landkreis Ludwigslust-Parchim
Ruthenbeck ist eine ruhige Gemeinde im Landkreis Ludwigslust-Parchim in Mecklenburg-Vorpommern, gelegen etwa sechs Kilometer südöstlich von Crivitz und rund 20 Kilometer nordwestlich von Parchim.
Die Gemeinde bietet eine gute Verkehrsanbindung, da sich hier ein Bahnhof befindet. Von dort aus verkehren stündlich Züge der Ostdeutschen Eisenbahn in Richtung Parchim sowie nach Rehna, mit Anschluss an die Städte Schwerin und Gadebusch.
Weitere Dokumente
Lageplan neutralBauvorbescheid Ruthenbeck