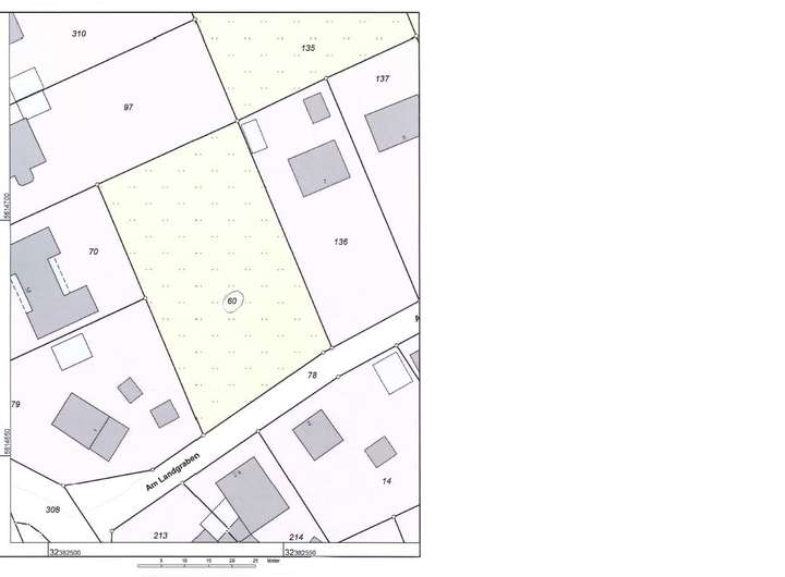
Zum Verkauf steht ein schön gelegenes, sonniges Baugrundstück mit einer Fläche von 1.780 m².
Eine Aufteilung in zwei Parzellen ist derzeit möglich!
Durch seine Größe und den vorteilhaften Zuschnitt bietet das Grundstück vielfältige Möglichkeiten für z.B. den Bau eines Einzelhauses und zweier Einfamilienhäuser als Doppelhaushälften oder sogar eines Doppelhauses und zwei Einzelhäuser.
Die Bebauung richtet sich nach § 34 und muss sich in das Bild der näheren Umgebung einfügen. Diese ist geprägt durch eine aufgelockerte Bebauung mit überwiegend eineinhalb- bis zweigeschossigen Einfamilienhäusern, häufig mit ausgebautem Dachgeschoss.
Hierfür liegen bereits genehmigte Bauvoranfragen vor.
Bad Honnef-Wülscheid- Interessantes Baugrundstück mit mehreren Optionen. Aufteilung möglich!
53604 Bad Honnef
Die vollständige Adresse der Immobilie erhalten Sie vom Anbieter.
Auf Karte anzeigen
Die vollständige Adresse der Immobilie erhalten Sie vom Anbieter.
Finanzierungszertifikat
In nur zwei Minuten zu Ihrem persönlichen Finanzierungszertifkat.
Infos
| Vermarktungsart | Kaufen |
|---|---|
| Grundstücksfläche | 1.780 m2 |
Kosten
| Miete pro Jahr |
470.000 € |
|---|---|
| Provision |
3,57 % inkl. ges. MwSt. |
Finanzierungsrechner:
Kaufpreis:
600.000 €
Eigenkapital:
600.000 €
Monatliche Rate
0 €
Effektiver Jahreszins
0 %
Sollzinsbindung
10 Jahre
Beschreibung des Objekts
Lage
Bad Honnef ist eine charmante kleine Mittelstadt im Rhein-Sieg-Kreis in Nordrhein-Westfalen. Mit seinen knapp 26.061 Einwohnern und der Nähe zur Bundesstadt Bonn ist Bad Honnef ein attraktiver Wohnort für alle, die eine ländliche Idylle mit Stadtleben verbinden möchten.
Das Grundstück befindet sich in Höhenlage von Bad Honnef im Ortsteil Wülscheid, ca. 2,5 km von Aegidienberg und der A3 Auffahrt entfernt.
Im angrenzenden Siebengebirge mit Naherholungswert können Sie ausgedehnte Spaziergänge oder Fahrradtouren in der gesunden Natur unternehmen.
Kindergarten, Grundschule, Einkaufsmöglichkeiten, Ärzte, Apotheke und Banken finden Sie im nahe gelegenen Aegidienberg oder in Rottbitze. Weiterführende Schulen gibt es entweder in Bad Honnef, in Königswinter, in Oberpleis oder in Bonn.
Für sportlich Interessierte hält die Umgebung ein großes Angebot bereit, u.a. einen Golfplatz, Tennisanlagen, Reitsportmöglichkeiten, diverse Sportvereine u.v.m.
Verkehrsgünstige Lage: Nur wenige Minuten zur A3 und ca. 30 Min. zum Flughafen Köln/ Bonn. In knapp 20 Minuten sind Sie in Bonn oder in Siegburg ICE, Köln erreichen Sie in ca. 30 Minuten. Frankfurt ist in einer Stunde erreicht.
Sonstige Angaben
Bei allen Fragen zur Immobilie wenden Sie sich an unseren Berater, Herrn Guido Hild, unter der Rufnummer 0228/716 42480.
Unsere Baufinanzierungsspezialistin, Frau Simona Simons, steht Ihnen für eine unverbindliche Finanzierungsberatung unter der Rufnummer 0228/716 42482 zur Verfügung.