Zum Hauptinhalt springen
1/2
2/2

Baugrundstück zu verkaufen - Ideal für Ihr Unternehmen

Fritz-Weineck-Str. / Dr.-Otto-Nuschke-Str. , 06766 Bitterfeld-Wolfen
Auf Karte anzeigen
Logo ImmoScout24 Logo ImmoScout24
PDF Finanzierungszertifikat

Finanzierungszertifikat

In nur zwei Minuten zu Ihrem persönlichen Finanzierungszertifkat.

  • Zur Vorlage beim Makler oder Verkäufer
  • Vorteile gegenüber anderen Kaufinteressenten
  • Kostenlos und unverbindlich
Finanzierungszertifikat anfragen

Infos

Vermarktungsart Kaufen
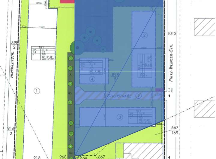
Grundstücksfläche 6.301 m2
Erschließung Erschlossen
Bebaubar nach Bebauungsplan
Verfügbar ab sofort

Kosten

Miete pro Jahr 189.000 €
Provision Nein

Finanzierungsrechner:

Kaufpreis: 600.000 €

Eigenkapital: 600.000 €
Monatliche Rate 0 €
Effektiver Jahreszins 0 %
Sollzinsbindung 10 Jahre

Beschreibung des Objekts

                Zum Verkauf steht ein attraktives Gewerbegrundstück in gut erreichbarer und frequenzstarker Lage. Das Grundstück bietet hervorragende Voraussetzungen für vielfältige gewerbliche Nutzungen und eignet sich ideal für Unternehmen, die einen neuen Standort aufbauen und erweitern möchten.
            

Lage

                Das Grundstück befindet sich in der Fritz-Weineck-Straße und Dr.-Otto-Nuschke-Str. in 06766 Wolfen. Es ist voll erschlossen, es hat eine sehr gute Verkehrsanbindung, eine gute Sichtbarkeit und nahe öffentlicher Infrastuktur.
                

Sonstige Angaben

                Das Grundstück ist sofort verfügbar und bietet optimale Voraussetzungen für Büros oder Dienstleistungsbetriebe.
           

Adresse

Fritz-Weineck-Str. / Dr.-Otto-Nuschke-Str. , 06766 Bitterfeld-Wolfen

Interessante Orte

Bäckereien
Schulen
Ärzte

Ansprechpartner