Auf dem rund 1.500 m² großen Grundstück in ruhiger und grüner Wohnlage von Großhansdorf befindet sich derzeit ein Haus mit zwei vollunterkellerten Wohneinheiten.
Das Bestandsgebäude weist einen deutlichen Sanierungs- und Modernisierungsbedarf auf und bietet damit wahlweise die Möglichkeit einer umfassenden Renovierung oder einer Neubebauung, um das Potenzial des Grundstücks optimal auszuschöpfen. Bauherren haben hier die Chance, ein Zuhause ganz nach ihren individuellen Vorstellungen und Bedürfnissen zu realisieren.
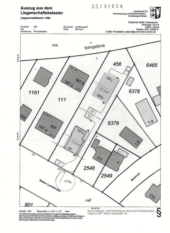
Für das Grundstück existiert kein Bebauungsplan. Die Bebaubarkeit richtet sich daher gemäß § 34 BauGB nach der umliegenden Nachbarschaftsbebauung. Ein positiver Bauvorbescheid für die Errichtung zweier Doppelhäuser liegt bereits vor; alternativ wäre auch eine Bebauung mit zwei Einfamilienhäusern denkbar.
Damit eröffnen sich vielfältige Nutzungsmöglichkeiten – sowohl für private Bauherren, die den Traum vom eigenen Zuhause verwirklichen möchten, als auch für Investoren mit Interesse an einem Neubauprojekt.
Die verbindliche Prüfung und Genehmigung einer möglichen Grundstücksteilung und Neubebauung obliegt dem Käufer; eine Bauträgerbindung besteht nicht.
Baugrundstück mit Bauvorbescheid für 2 Doppelhäuser in Großhansdorf
22927 Großhansdorf
Die vollständige Adresse der Immobilie erhalten Sie vom Anbieter.
Auf Karte anzeigen
Die vollständige Adresse der Immobilie erhalten Sie vom Anbieter.
Finanzierungszertifikat
In nur zwei Minuten zu Ihrem persönlichen Finanzierungszertifkat.
Infos
| Vermarktungsart | Kaufen |
|---|---|
| Grundstücksfläche | 1.500 m2 |
| Bebaubar nach | wie Nachbarbebauung |
Kosten
| Miete pro Jahr |
750.000 € |
|---|---|
| Provision |
3,57 % des Kaufpreises |
Finanzierungsrechner:
Kaufpreis:
600.000 €
Eigenkapital:
600.000 €
Monatliche Rate
0 €
Effektiver Jahreszins
0 %
Sollzinsbindung
10 Jahre
Beschreibung des Objekts
Lage
Die Immobilie liegt in einer attraktiven, grünen Wohnlage von Großhansdorf – einer der gefragtesten Gemeinden am östlichen Rand der Metropolregion Hamburg. Die Umgebung ist geprägt von gepflegten Einfamilienhäusern, großen Gärten und viel Baumbestand.
Das Zentrum von Großhansdorf mit Einkaufsmöglichkeiten, Ärzten und Geschäften ist ebenso schnell erreichbar wie Ahrensburg oder Hamburg-Volksdorf. Die U-Bahn-Stationen Großhansdorf und Kiekut (U1) liegen nur wenige Minuten entfernt und bieten eine direkte Anbindung in die Hamburger Innenstadt. Auch die Autobahnen A1 und A21 sind gut erreichbar.
Zahlreiche Wald- und Naherholungsgebiete, Schulen, Kindergärten und Sporteinrichtungen befinden sich in unmittelbarer Nähe.
Die Lage verbindet ruhiges, naturnahes Wohnen mit sehr guter Infrastruktur – ideal für Familien, Pendler und alle, die hohe Lebensqualität im Grünen schätzen.
Grundriss
Liegenschaftskarte
>
>
Überplanung Bauvoranfrage
>
>