Erfüllen Sie sich Ihren Wohntraum mit einem WeberHaus! Auf diesem attraktiven Grundstück haben Sie die Möglichkeit, Ihr individuelles Eigenheim ganz nach Ihren Wünschen zu gestalten. Ob moderne Architektur oder klassisches Design – mit WeberHaus setzen Sie auf Qualität, Energieeffizienz und zeitloses Wohnen.
Das Grundstück bietet ausreichend Platz für Ihr Traumhaus und einen schönen Gartenbereich. Dank der flexiblen Planung können Sie Grundriss, Ausstattung und Details selbst bestimmen. So entsteht ein Zuhause, das perfekt zu Ihnen und Ihrer Familie passt.
Starten Sie jetzt in Ihre Zukunft – wir freuen uns darauf, Sie bei der Verwirklichung Ihres Traumhauses in Meißenheim zu begleiten!
Hier entsteht Ihr neues Zuhause – 342 m² Grundstück in Top-Lage in Meißenheim
77974 Meißenheim
Die vollständige Adresse der Immobilie erhalten Sie vom Anbieter.
Auf Karte anzeigen
Die vollständige Adresse der Immobilie erhalten Sie vom Anbieter.
Finanzierungszertifikat
In nur zwei Minuten zu Ihrem persönlichen Finanzierungszertifkat.
Infos
| Vermarktungsart | Kaufen |
|---|---|
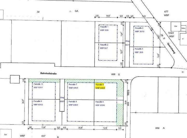
| Grundstücksfläche | 342 m2 |
| Erschließung | Erschlossen |
| Empfohlene Nutzung | Einfamilienhaus |
| Bebaubar nach | Bebauungsplan |
Kosten
| Miete pro Jahr |
112.860 € |
|---|
Finanzierungsrechner:
Kaufpreis:
600.000 €
Eigenkapital:
600.000 €
Monatliche Rate
0 €
Effektiver Jahreszins
0 %
Sollzinsbindung
10 Jahre
Beschreibung des Objekts
Lage
Meißenheim liegt in einer reizvollen, naturnahen Umgebung im Ortenaukreis und verbindet ländliche Ruhe mit hervorragender Anbindung. Die Gemeinde befindet sich nur wenige Fahrminuten von der A5 entfernt und bietet dadurch eine schnelle Erreichbarkeit der umliegenden Städte – ideal für Pendler und alle, die mobil bleiben möchten.
Die Stadt Lahr erreichen Sie in kurzer Zeit, ebenso das wirtschaftlich starke Offenburg, das vielfältige Einkaufsmöglichkeiten, kulturelle Angebote und zahlreiche Arbeitsplätze bietet. Trotz der Nähe zu diesen Zentren genießen Sie in Meißenheim ein entspanntes, familienfreundliches Wohnumfeld mit viel Grün, schönen Spazierwegen und einer funktionierenden Infrastruktur.
Sonstige Angaben
Der Grundstücks-Gesamtpreis ist ein Zielpreis und kann aufgrund der noch nicht abgeschlossenen Erschließungsmaßnahmen noch variieren bzw. nicht final sichergestellt werden – bitte sprechen Sie uns hierzu an.
Unser WeberHaus Finanzierungsservice steht Ihnen selbstverständlich ebenfalls zur Verfügung und erstellt Ihnen auf Wunsch ein maßgeschneidertes Baufinanzierungskonzept.