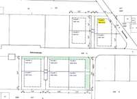
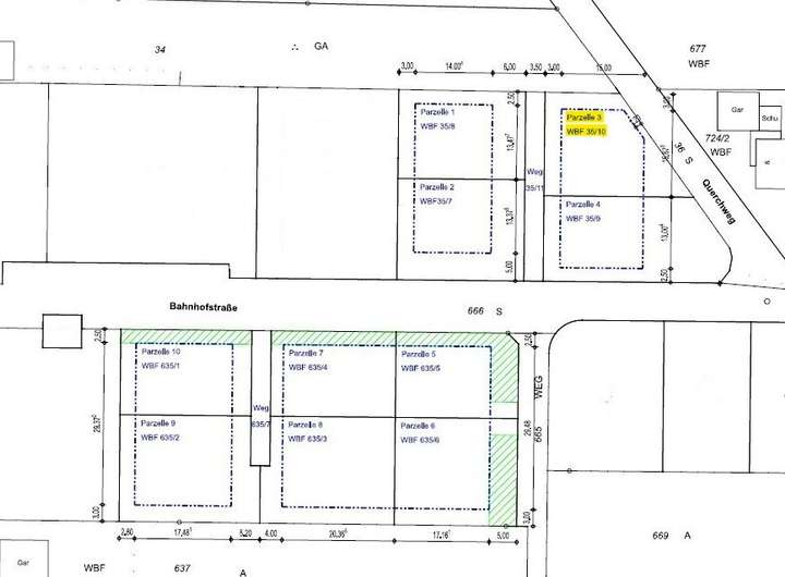
Dieses 411 m² große Grundstück in Meißenheim bietet Ihnen die ideale Grundlage, um Ihr persönliches Traumhaus zu verwirklichen. Das Grundstück ist exklusiv für die Bebauung mit einem WeberHaus vorgesehen – einem Hersteller, der für langlebige Qualität, Energieeffizienz und modernes Wohnen steht.
Trotz der Bindung an WeberHaus genießen Sie volle gestalterische Freiheit: Ob ein klassisches Einfamilienhaus oder ein architektonisch individuelles Konzept – Sie können Ihr zukünftiges Zuhause ganz nach Ihren eigenen Wünschen planen. Von der Raumaufteilung bis zu den Ausstattungsdetails steht Ihnen ein breites Spektrum an Möglichkeiten offen, sodass Ihr Haus genau zu Ihrem Leben passt.
Nutzen Sie diese Gelegenheit und informieren Sie sich unverbindlich über Ihr persönliches Bauprojekt.
Ihr Eigenheim in bester Lage: 411 m² Grundstück in Meißenheim
77974 Meißenheim
Die vollständige Adresse der Immobilie erhalten Sie vom Anbieter.
Auf Karte anzeigen
Die vollständige Adresse der Immobilie erhalten Sie vom Anbieter.
Finanzierungszertifikat
In nur zwei Minuten zu Ihrem persönlichen Finanzierungszertifkat.
Infos
| Vermarktungsart | Kaufen |
|---|---|
| Grundstücksfläche | 411 m2 |
| Erschließung | Erschlossen |
| Empfohlene Nutzung | Einfamilienhaus |
| Bebaubar nach | Bebauungsplan |
Kosten
| Miete pro Jahr |
135.630 € |
|---|
Finanzierungsrechner:
Kaufpreis:
600.000 €
Eigenkapital:
600.000 €
Monatliche Rate
0 €
Effektiver Jahreszins
0 %
Sollzinsbindung
10 Jahre
Beschreibung des Objekts
Lage
Meißenheim liegt in einer reizvollen, naturnahen Umgebung im Ortenaukreis und verbindet ländliche Ruhe mit hervorragender Anbindung. Die Gemeinde befindet sich nur wenige Fahrminuten von der A5 entfernt und bietet dadurch eine schnelle Erreichbarkeit der umliegenden Städte – ideal für Pendler und alle, die mobil bleiben möchten.
Die Stadt Lahr erreichen Sie in kurzer Zeit, ebenso das wirtschaftlich starke Offenburg, das vielfältige Einkaufsmöglichkeiten, kulturelle Angebote und zahlreiche Arbeitsplätze bietet. Trotz der Nähe zu diesen Zentren genießen Sie in Meißenheim ein entspanntes, familienfreundliches Wohnumfeld mit viel Grün, schönen Spazierwegen und einer funktionierenden Infrastruktur.
Sonstige Angaben
Der Grundstücks-Gesamtpreis ist ein Zielpreis und kann aufgrund der noch nicht abgeschlossenen Erschließungsmaßnahmen noch variieren bzw. nicht final sichergestellt werden – bitte sprechen Sie uns hierzu an.
Unser WeberHaus Finanzierungsservice steht Ihnen selbstverständlich ebenfalls zur Verfügung und erstellt Ihnen auf Wunsch ein maßgeschneidertes Baufinanzierungskonzept.