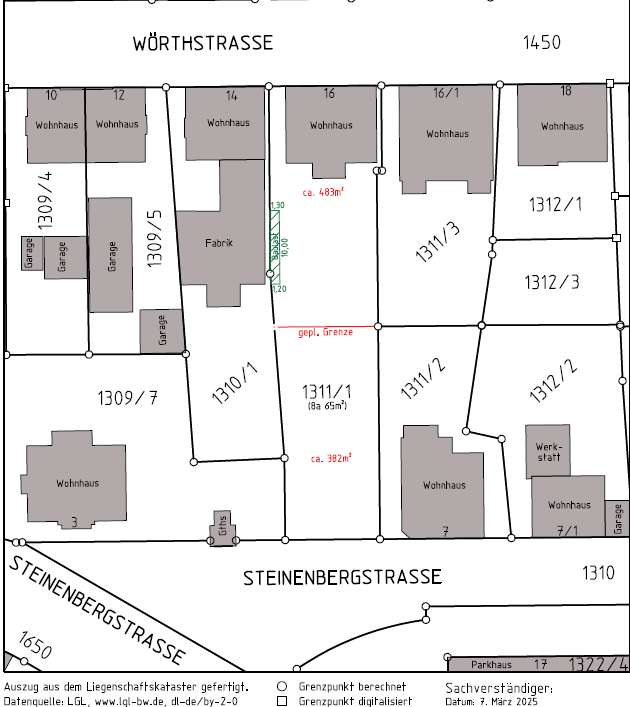
Das Grundstück ist unbebaut mit Zugang über Steinenbergstraße.
Der Entwicklungszustand ist "baureifes Land".
Das Grundstück besticht insbesondere durch den unverbaubaren Ausblick auf die Achalm.
Für das Grundstück liegt kein qualifizierter B-Plan vor. Die Bebaubarkeit/Gebäudetyp richtet sich nach den Vorschriften des § 34 BauGB. D.h. die Art der Nutzung, Gebäudetyp, Bebauungsdichte, etc. richtet sich nach der Art der Umgebungsbebauung.
Es handelt sich um gewachsenen, normal tragfähigen Baugrund ohne Grundwasserschäden (Quelle: Wertgutachten, ReinhardUnger Immobilienbewertung, 11.2020)
Baulasten sind auf dem Grundstück keine eingetragen.
Es liegt ein Wertgutachten von ReinhardUnger Immobilienbewertung aus dem November 2020 vor.
Finanzierungszertifikat
In nur zwei Minuten zu Ihrem persönlichen Finanzierungszertifkat.
Infos
| Vermarktungsart | Kaufen |
|---|---|
| Grundstücksfläche | 382 m2 |
| Bebaubar nach | wie Nachbarbebauung |
| Verfügbar ab | 14.12.2025 |
Kosten
| Miete pro Jahr |
145.000 € |
|---|---|
| Provision | Nein |
Finanzierungsrechner:
Kaufpreis:
600.000 €
Eigenkapital:
600.000 €
Monatliche Rate
0 €
Effektiver Jahreszins
0 %
Sollzinsbindung
10 Jahre
Beschreibung des Objekts
Lage
Das Grundstück liegt zwischen der Wörthstrasse 16 und der Steinenbergstrasse (Zufahrt zum Krankenhaus) und trägt die Flurnummer 1311/4.
Grundriss
Flurplan
>
>