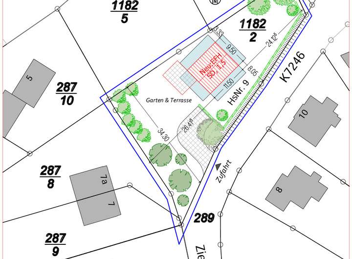
Verkauft wird ein Baugrundstück in zentraler Lage von Schirgiswalde-Kirschau. Mit einer Grundstücksfläche von ca. 1.532 m² bietet es eine attraktive Größe, um den Traum vom Eigenheim zu verwirklichen.
Ein Bebauungsplan besteht nicht. Der Flächennutzungsplan weist das Grundstück als Mischgebiet aus. Eine ortsübliche Bebauung mit einem Einfamilienhaus ist entsprechend § 34 BauGB nach unverbindlicher Auskunft der Stadt grundsätzlich möglich.
„Innerhalb der im Zusammenhang bebauten Ortsteile ist ein Vorhaben zulässig, wenn es sich nach Art und Maß der baulichen Nutzung, der Bauweise und der Grundstücksfläche, die überbaut werden soll, in die Eigenart der näheren Umgebung einfügt und die Erschließung gesichert ist. Die Anforderungen an gesunde Wohn- und Arbeitsverhältnisse müssen gewahrt bleiben; das Ortsbild darf nicht beeinträchtigt werden.“
Als weiteres Antragsverfahren ist das vereinfachte Baugenehmigungsverfahren gemäß § 63 SächsBO vorgesehen.
Die Erschließung mit Medien ist gesichert. Das Grundstück ist aktuell mit einem kleinen Freizeitbungalow bebaut. Die Nachbarbebauung ist geprägt von Einfamilienhäusern in offener Bauweise mit ein bis zwei Vollgeschossen sowie Satteldächern.
Großzügiges Baugrundstück im Ortskern
02681 Schirgiswalde
Die vollständige Adresse der Immobilie erhalten Sie vom Anbieter.
Auf Karte anzeigen
Die vollständige Adresse der Immobilie erhalten Sie vom Anbieter.
Finanzierungszertifikat
In nur zwei Minuten zu Ihrem persönlichen Finanzierungszertifkat.
Infos
| Vermarktungsart | Kaufen |
|---|---|
| Grundstücksfläche | 1.532 m2 |
| Erschließung | Erschlossen |
| Empfohlene Nutzung | Einfamilienhaus |
| Bebaubar nach | wie Nachbarbebauung |
Kosten
| Miete pro Jahr |
85.000 € |
|---|---|
| Provision |
2,98% inkl. MwSt. |
Finanzierungsrechner:
Kaufpreis:
600.000 €
Eigenkapital:
600.000 €
Monatliche Rate
0 €
Effektiver Jahreszins
0 %
Sollzinsbindung
10 Jahre
Beschreibung des Objekts
Lage
Das Grundstück befindet sich in Schirgiswalde-Kirschau, etwa 10 km südlich der Kreisstadt Bautzen. Eingebettet in die Berge des Oberlausitzer Berglandes ist der Ort mit rund 2.400 Einwohnern infrastrukturell und verkehrstechnisch sehr gut erschlossen. Die Bahnhaltestelle ist rund 150m Luftlinie vom Grundstück entfernt.
Vielfältige Möglichkeiten für Kultur, Sport, Erholung und Einkauf sind sowohl vor Ort als auch in unmittelbarer Umgebung vorhanden. Durch die nahe Anbindung an die Autobahn A4 erreicht man die Landeshauptstadt Dresden in ca. 60 Minuten.
Schirgiswalde-Kirschau ist zudem überregional bekannt für ein aktives Vereinsleben, das einzigartige Wohlfühlhotel „Bei Schuhmann“ sowie die Körse-Therme. Kindergärten, Ärztehäuser und eine Grundschule sind im Ort vorhanden. Weiterführende Schulen befinden sich im Nachbarort Wilthen oder in Bautzen.
Geschäfte des täglichen Bedarfs sind teilweise auch fußläufig erreichbar.
Sonstige Angaben
Der Verkauf erfolgt freihändig im direkten Auftrag des Eigentümers.
Alle Angaben, Flächenmaße, Darstellungen und Preisangaben basieren auf Informationen vom Eigentümer oder von Dritten, die zur Verfügung gestellt wurden. Eine Gewähr für deren Richtigkeit, Vollständigkeit und Aktualität kann nicht übernommen werden. Änderungen, Irrtümer und ein zwischenzeitlicher Verkauf bleiben vorbehalten.
Die im Exposé angegebene Käuferprovision wird im Erfolgsfall fällig und errechnet sich aus dem beurkundeten Kaufpreis. Rechtsgrundlage ist ausschließlich der notariell abgeschlossene Kaufvertrag.
Besichtigungen sind nach vorheriger Terminabsprache möglich. Bitte haben Sie Verständnis, dass nur schriftliche Anfragen mit vollständigen Kontaktdaten (Name, Anschrift, Telefonnummer) beantwortet werden können.