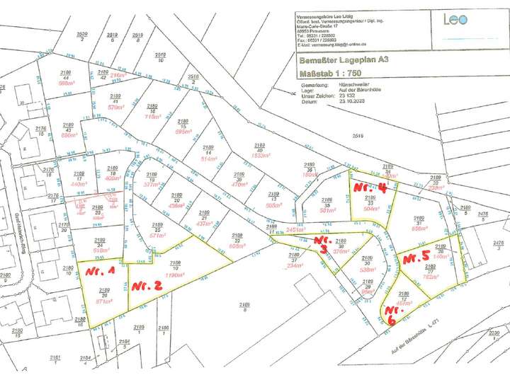
Verkauft wird das in den beigefügten Plänen mit "Bauplatz Nr. 4" bezeichnete, voll erschlossene Grundstück, Flurstück Nr. 2189/33 und 2189/34 mit einer Größe von ca. 644 m² im Wohnpark "Bärenhütte" in Nünschweiler.
Das neu entstandene Baugebiet "Bärenhütte" umfasst insgesamt 24 Bauplätze und bietet einem herrlichen Blick über die Sickinger Höhe.
Das Wohngebiet verbindet eine landschaftlich sehr ansprechende, ruhige Wohnlage mit einer verkehrsgünstigen Anbindung in alle Richtungen die vor allem auch Berufspendlern sehr entgegenkommt.
Hinweis: Der beigefügte Bebauungsplan "Wohnpark Bärenhütte" dient zur Information und erhebt keinen Anspruch auf Richtigkeit.
Bei Fragen zum Bebauungsplan bzw. zur Bebauung allgemein wenden Sie sich bitte an die Verwaltung der Verbandsgemeinde Thaleischweiler-Wallhalben.
Bauplatz Nr. 4 mit 644 m² in Nünschweiler im Wohnpark "Bärenhütte" zu verkaufen
66989 Nünschweiler
Die vollständige Adresse der Immobilie erhalten Sie vom Anbieter.
Auf Karte anzeigen
Die vollständige Adresse der Immobilie erhalten Sie vom Anbieter.
Finanzierungszertifikat
In nur zwei Minuten zu Ihrem persönlichen Finanzierungszertifkat.
Infos
| Vermarktungsart | Kaufen |
|---|---|
| Grundstücksfläche | 644 m2 |
| Erschließung | Erschlossen |
| Bebaubar nach | Bebauungsplan |
Kosten
| Miete pro Jahr |
82.000 € |
|---|---|
| Provision |
3,57 % inkl. ges. MwSt. |
Finanzierungsrechner:
Kaufpreis:
600.000 €
Eigenkapital:
600.000 €
Monatliche Rate
0 €
Effektiver Jahreszins
0 %
Sollzinsbindung
10 Jahre
Beschreibung des Objekts
Sonstige Angaben
Geldwäschegesetz:
Als Immobilienmaklerunternehmen ist die VR Immobilien GmbH nach § 2 Abs. 1 Nr. 14 und § 11 Abs. 1, 2 Geldwäschegesetz (GwG) dazu verpflichtet, bei der Begründung einer Geschäftsbeziehung die Identität des Vertragspartners festzustellen und zu überprüfen, bzw. sobald ein ernsthaftes Interesse an der Durchführung des Immobilienkaufvertrages besteht. Hierzu ist es erforderlich, dass wir nach § 11 Abs. 4 GwG die relevanten Daten Ihres Personalausweises festhalten (wenn Sie als natürliche Person handeln) – beispielsweise mittels einer Kopie. Bei einer juristischen Person benötigen wir eine Kopie des Handelsregisterauszugs, aus welchem der wirtschaftlich Berechtigte hervorgeht. Das Geldwäschegesetz sieht vor, dass der Makler die Kopien bzw. Unterlagen fünf Jahre aufbewahren muss. Als unser Vertragspartner haben Sie auch eine Mitwirkungspflicht nach § 11 Abs. 6 GwG.
Haftungsausschluss:
Wir weisen darauf hin, dass die von uns weitergegebenen Objektinformationen, Unterlagen, Pläne etc. vom Verkäufer bzw. Vermieter stammen. Eine Haftung für die Richtigkeit oder Vollständigkeit der Angaben übernehmen wir daher nicht. Es obliegt daher unseren Kunden, die darin enthaltenen Objektinformationen und Angaben auf ihre Richtigkeit hin zu überprüfen. Alle Immobilienangebote sind freibleibend und vorbehaltlich Irrtümer, Zwischenverkauf- und Vermietung oder sonstiger Zwischenverwertung.
Unser Angebot an Sie als Eigentümer:
Planen Sie den Verkauf oder die Vermietung Ihrer Immobilie, so ist es für Sie wichtig, deren Wert zu kennen. Lassen Sie uns gemeinsam und unverbindlich den aktuellen Wert Ihrer Immobilie in all ihren Facetten besprechen und einschätzen. Durch unseren bundesweiten Verbund haben wir viele Möglichkeiten Verkäufer bzw. Vermieter und Interessenten zusammenzuführen.