Zum Hauptinhalt springen
1/2
2/2

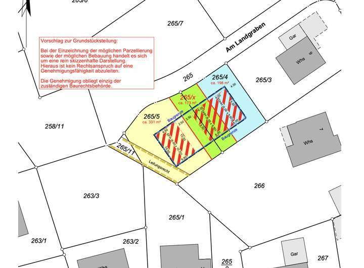
Baugrundstücke in Gurtweil

79761 Waldshut-Tiengen
Die vollständige Adresse der Immobilie erhalten Sie vom Anbieter.
Auf Karte anzeigen
Logo ImmoScout24 Logo ImmoScout24
PDF Finanzierungszertifikat

Finanzierungszertifikat

In nur zwei Minuten zu Ihrem persönlichen Finanzierungszertifkat.

  • Zur Vorlage beim Makler oder Verkäufer
  • Vorteile gegenüber anderen Kaufinteressenten
  • Kostenlos und unverbindlich
Finanzierungszertifikat anfragen

Infos

Vermarktungsart Kaufen
Grundstücksfläche 331 m2
Erschließung Erschlossen
Bebaubar nach Bebauungsplan

Kosten

Miete pro Jahr 155.000 €
Provision zzgl. 3,57 % Käuferprovision inkl. gesetzl. MwSt. aus dem Kaufpreis

Finanzierungsrechner:

Kaufpreis: 600.000 €

Eigenkapital: 600.000 €
Monatliche Rate 0 €
Effektiver Jahreszins 0 %
Sollzinsbindung 10 Jahre

Beschreibung des Objekts

                In familienfreundlicher Lage von Gurtweil steht dieses Baugrundstück mit 331 m2 Grundstücksfläche zum Verkauf.  

Das Grundstück ist bereits erschlossen.

Es gilt der Bebauungsplan „Höllstein“. Auflagen bezüglich Bauzwang der Gemeinde gibt es nicht.
            

Adresse

79761 Waldshut-Tiengen

Interessante Orte

Bäckereien
Schulen
Ärzte

Ansprechpartner