Bauplatz voll erschlossen mit einer Baugenehmigung für zwei Einfamilienhäuser in Überlingen * TOP LAGE..........................
weiter lesen auf ... www.orange-immobilien.de
* Traumhaftes Baugrundstück in Überlingen mit See- und Alp
88662 Überlingen
Die vollständige Adresse der Immobilie erhalten Sie vom Anbieter.
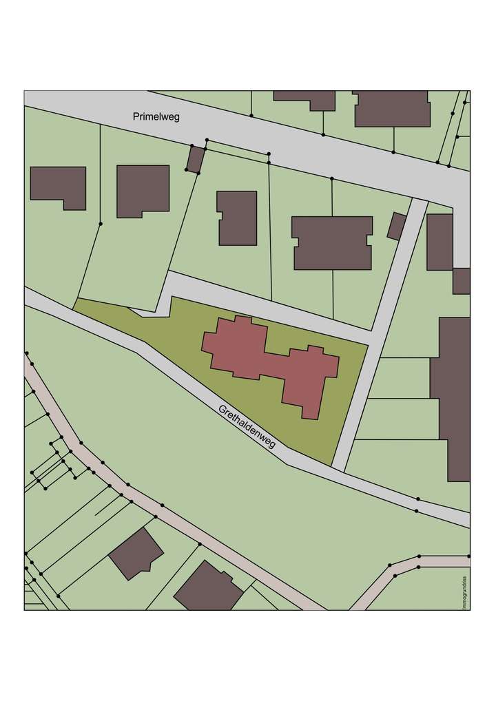
Auf Karte anzeigen
Die vollständige Adresse der Immobilie erhalten Sie vom Anbieter.
Finanzierungszertifikat
In nur zwei Minuten zu Ihrem persönlichen Finanzierungszertifkat.
Infos
| Vermarktungsart | Kaufen |
|---|---|
| Grundstücksfläche | 1.588 m2 |
| Erschließung | Erschlossen |
| Empfohlene Nutzung | Doppelhaus, Einfamilienhaus |
| Bebaubar nach | Bebauungsplan |
| Verfügbar ab | sofort |
Kosten
| Miete pro Jahr |
1.995.000 € |
|---|---|
| Provision |
4,76 %inkl. Mwst. |
Finanzierungsrechner:
Kaufpreis:
600.000 €
Eigenkapital:
600.000 €
Monatliche Rate
0 €
Effektiver Jahreszins
0 %
Sollzinsbindung
10 Jahre
Beschreibung des Objekts
Lage
Dieses exklusive Grundstück befindet sich in einer begehrten Aussichtslage in Überlingen, ca. 20 Minuten fußläufig vom Stadtzentrum entfernt.
In ca. 3 Autominuten erreicht man die Abfahrt zur B11, was für eine schnelle Anbindung an die umliegenden Städte und Autobahnen sorgt.
Die ruhige, gewachsene Wohngegend bietet eine perfekte Balance zwischen Naturnähe und urbaner Infrastruktur. Die Lage ist ideal für Wassersportler, Radfahrer, Wanderer und Familien, die das Leben am Wasser schätzen. Ob Segeln, Rudern, Angeln oder ausgedehnte Radtouren – hier können Sie Ihre Freizeit nach Herzenslust gestalten.
Einkaufsmöglichkeiten, Cafés, Restaurants, Kindergärten und Schulen sind in der unmittelbaren Umgebung vorhanden, sodass Sie alle Annehmlichkeiten des täglichen Lebens bequem erreichen.
Sonstige Angaben
Gerne sind wir für weitere Fragen und Informationen unter Tel.: 0731/ 70 80 01 42 erreichbar.
Bei Kauf/Miete verpflichtet sich der Käufer/Mieter an ORANGE Immobilienagentur -- Klaus Freigassner, selbst. Immobilienmakler, eine Maklerprovision in der angegebenen Höhe nach notariellem Kaufvertrag bzw. nach einem Mietvertrag zu leisten. Durch Ihre Objektanfrage bestätigen Sie die Vereinbarung und Anerkennung dieser Maklercourtage. Alle Angaben stammen vom Eigentümer der Makler übernimmt hierfür keine Haftung.
Anfragen über die Immobilienportale werden nur mit vollständiger Adresse und Telefonnummer bearbeitet. Jeder ORANGE Immobilienagentur Kooperationspartner und somit selbständiger Immobilienmakler/in ist ein rechtlich eigenständiges Unternehmen bzw. handelt auf eigene Rechnung/Verantwortung. Aufsichtsbehörde: IHK München und Oberbayern, Max-Joseph-Str. 2, 80333 München.
Grundriss
Lageplan
>
>