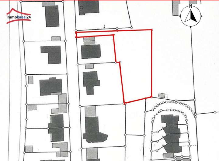
Zum Verkauf steht ein attraktives Baugrundstück mit einer Fläche von ca. 1.285 m² in ruhiger und dennoch zentraler Lage. Das Grundstück hat eine grandiose Aussicht über Treuchtlingen und ist vollständig erschlossen – Wasser-, Abwasser- und Stromleitungen befinden sich bereits auf dem Grundstück. Eine sofortige Bebauung ist möglich.
Dank der großzügigen Fläche bietet sich das Grundstück ideal für den Bau eines Einfamilienhauses, einer Doppelhaushälfte oder auch eines Mehrfamilienhauses an. Eine Beplanung mit DHH und Dreispänner Haus ist vorhanden.
Die angenehme Wohnlage in Kombination mit der guten Infrastruktur macht dieses Grundstück zu einer hervorragenden Gelegenheit für private Bauherren oder Investoren.
Grunddaten:
- Grundstücksfläche: ca. 1.285 m²
- Erschließung: voll erschlossen
- Anschlüsse: Strom, Wasser, Abwasser vorhanden
- Bebaubar: ab sofort
Großzügiges, erschlossenes Grundstück – perfekt für Ein- oder Mehrfamilienhaus - 91757 Treuchtlingen
91757 Treuchtlingen
Die vollständige Adresse der Immobilie erhalten Sie vom Anbieter.
Auf Karte anzeigen
Die vollständige Adresse der Immobilie erhalten Sie vom Anbieter.
Finanzierungszertifikat
In nur zwei Minuten zu Ihrem persönlichen Finanzierungszertifkat.
Infos
| Vermarktungsart | Kaufen |
|---|---|
| Grundstücksfläche | 1.285 m2 |
| Erschließung | Erschlossen |
| Empfohlene Nutzung | Einfamilienhaus |
| Bebaubar nach | wie Nachbarbebauung |
| Verfügbar ab | Sofort |
Kosten
| Miete pro Jahr |
225.000 € |
|---|---|
| Provision |
3,57% inkl. 19% MwSt. Der Makler weist ausdrücklich darauf hin, dass er auch für den Verkäufer eine provisionspflichtige Nachweis- und/oder Vermittlungstätigkeit aufgenommen hat und davon Gebrauch nehmen kann, sofern dies nicht zu einer vertragswidrigen Kollision mit den Interessen des Kaufinteressenten führt. |
Finanzierungsrechner:
Kaufpreis:
600.000 €
Eigenkapital:
600.000 €
Monatliche Rate
0 €
Effektiver Jahreszins
0 %
Sollzinsbindung
10 Jahre
Beschreibung des Objekts
Lage
Das Grundstück befindet sich in ruhiger und dennoch zentraler Lage von Treuchtlingen. Einkaufsmöglichkeiten, Schulen, Kindergärten sowie medizinische Einrichtungen sind in wenigen Minuten erreichbar. Der Bahnhof Treuchtlingen mit guten Zugverbindungen nach Nürnberg, Augsburg und Ingolstadt liegt nur wenige Minuten entfernt. Auch die Anbindung an die Bundesstraße B2 sorgt für eine schnelle Erreichbarkeit der umliegenden Städte. Die Umgebung ist geprägt von gepflegter Wohnbebauung und viel Grün, was eine angenehme Wohn- und Lebensqualität bietet.
Sonstige Angaben
Bitte beachten: Anfragen ohne gültiger E-Mail-Adresse und Telefonnummer können nicht bearbeitet werden.
Alle Angaben ohne Gewähr. Die Inhalte dieses Exposés stammen vom Anbieter. Grundrisse sind nicht maßstabsgetreu. Für Daten Dritter übernehmen wir keine Haftung. Das Angebot ist nur für Sie bestimmt und darf nicht an Dritte weitergegeben werden.
Vereinbaren Sie gleich noch heute Ihren Besichtigungstermin. Um eine schnelle Bearbeitung Ihrer Anfrage zu gewährleisten, geben Sie bitte Ihre vollständige Anschrift mit Telefonnummer an, Herr Schiller wird Sie umgehend kontaktieren.