In begehrter Südwestlage von Überlingen eröffnet sich Ihnen eine seltene Gelegenheit, aus drei attraktiven Baugrundstücken Ihren idealen Standort für den Wohntraum in unmittelbarer Nähe zum Bodensee zu wählen. Die Grundstücke verbinden Ruhe, Sonne und einen attraktiven Bodenseeblick – ideal für Eigennutzer mit hohem Anspruch an Lage und Lebensqualität.
Grundstücksdetails auf einen Blick:
• Attraktive Südwest-Ausrichtung
• Ruhige, gewachsene Wohnlage
• Nur ca. 10 Gehminuten zum Bodensee
• Ideal für Einfamilienhäuser oder individuelle Wohnkonzepte
• Gute Erreichbarkeit von Überlingen und der umliegenden Region
Verfügbare Grundstücke:
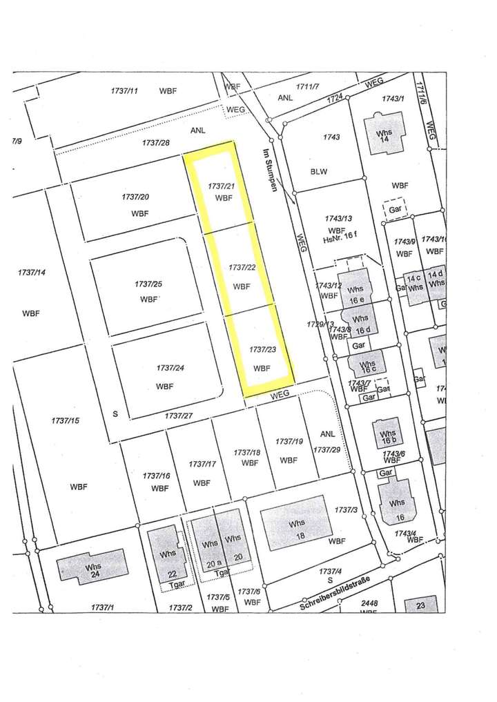
• FlSt 1737/21 – ca. 459 m² – 738.500 €
• FlSt 1737/22 – ca. 467 m² – 751.000 €
• FlSt 1737/23 – ca. 462 m² – 742.500 €
Nutzen Sie diese außergewöhnliche Gelegenheit in einer der gefragtesten Wohnlagen am Bodensee – ob zur Eigennutzung oder als wertstabile Investition.
David Chorbadzhiev
Golden Home Baden-Württemberg
+49 171 273 9008
10 Gehminuten zum Bodensee
88662 Überlingen
Die vollständige Adresse der Immobilie erhalten Sie vom Anbieter.
Auf Karte anzeigen
Die vollständige Adresse der Immobilie erhalten Sie vom Anbieter.
Finanzierungszertifikat
In nur zwei Minuten zu Ihrem persönlichen Finanzierungszertifkat.
Infos
| Vermarktungsart | Kaufen |
|---|---|
| Grundstücksfläche | 467 m2 |
Kosten
| Miete pro Jahr |
751.000 € |
|---|---|
| Provision |
3,57% inkl. 19.00% MwSt. |
Finanzierungsrechner:
Kaufpreis:
600.000 €
Eigenkapital:
600.000 €
Monatliche Rate
0 €
Effektiver Jahreszins
0 %
Sollzinsbindung
10 Jahre
Beschreibung des Objekts
Lage
Das Grundstück liegt in südwestlicher Lage von Überlingen, einer der beliebtesten Städte am Bodensee. Einkaufsmöglichkeiten für den täglichen Bedarf, Ärzte, Apotheken sowie Kindergärten und Schulen sind schnell erreichbar. Die historische Altstadt, die Seepromenade sowie vielfältige Freizeit- und Erholungsangebote befinden sich nur wenige Fahrminuten entfernt. Eine gute Anbindung an den öffentlichen Nahverkehr rundet die hervorragende Lage ab.
Grundriss
Im Stumpen_3
>
>