Herr Andreas Franzke von FALC Immobilien Heilbronn freut sich, Ihnen diesen Bauplatz in ruhiger Lage in Olnhausen an der Jagst vorstellen zu dürfen.
Träumen Sie von einem Eigenheim in ruhiger Lage mit guter Anbindung? Dann lassen Sie sich diese Gelegenheit nicht entgehen und ermöglichen Sie sich und Ihrer Familie den Wunsch nach einem neuen Zuhause.
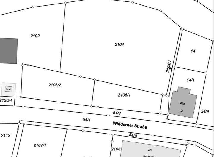
Das gesamte Grundstück, das hier zum Verkauf steht, umfasst ca. 960 m² und teilt sich in 3 Flurstücke auf.
Das Grundstück liegt im Geltungsbereich des Bebauungsplans „Westlicher Ortsrand“ – Jagsthausen und befindet sich in einem allgemeinen Wohngebiet (WA) in Olnhausen.
Je nach Zuschnitt und individueller Planung eignet sich das Grundstück ideal für den Bau eines Einfamilien- oder Doppelhauses.
Folgendes ist möglich:
- Errichtung von Bauwerken im allgemeinen Wohngebiet (WA) gemäß Bebauungsplan (§ 4 BauNVO.
- Freie Wahl der Dachform (Satteldach oder Flachdach); bei Flachdächern mit geringer Neigung (< 6°) ist eine Dachbegrünung vorgeschrieben.
- Technische Aufbauten wie PV-Anlagen sind zulässig (bis 1,50 m Höhe auf max. 10 % der Dachfläche)
- Einhaltung des Lärmschutzes nach DIN 4109 (z. B. durch geeignete Fenster).
- Zufahrten und Stellplätze Garagen sind wasserdurchlässig auszuführen (z. B. Rasengitter).
- Bepflanzungspflicht: Mindestens 1 Baum je 500 m² Grundstücksfläche sowie heimische Sträucher auf mindestens 5 % der Grundstücksfläche.
- Außenbeleuchtung muss insektenfreundlich gestaltet sein.
Worauf Sie achten müssen:
- Die maximal zulässige Gebäudehöhe (laut Geländeschnitt im Bebauungsplan) darf nicht überschritten werden – Ausnahme sind technische
Aufbauten wie beschrieben.
- Fassaden oder Dächer aus unbeschichtetem Metall sind nicht erlaubt.
- Flachdächer ohne Begrünung sind unzulässig (bei Neigungen ≤ 6°).
- Schottergärten oder komplett versiegelte Außenflächen ohne Begrünung sind nicht gestattet.
- Zufahrten und Stellplätze müssen wasserdurchlässig sein – wasserdichte Materialien sind verboten.
- Dauerbeleuchtung im Außenbereich ist nicht erlaubt.
- Pflanzpflichten sind einzuhalten und dürfen nicht vernachlässigt werden.
Genauere Details zur zulässigen Bebauung finden Sie im Bebauungsplan der Gemeinde Jagsthausen, der öffentlich zugänglich ist. Für die konkrete Realisierung Ihres Bauvorhabens ist eine Bauvoranfrage nötig.
Ein Grundstück mit klaren baurechtlichen Rahmenbedingungen – ideal für den Bau eines individuell geplanten Einfamilienhauses oder einer Doppelhaushälfte. Die ruhige Lage am westlichen Ortsrand von Jagsthausen bietet naturnahes Wohnen bei gleichzeitig guter Infrastruktur. Perfekt für Familien, Paare oder Kapitalanleger mit kleinem Bauvorhaben.
Planen - Bauen - Einziehen! Willkommen in Olnhausen an der Jagst! - FALC Immobilien Heilbronn
Widderner Straße ,
74249 Jagsthausen
Auf Karte anzeigen
Finanzierungszertifikat
In nur zwei Minuten zu Ihrem persönlichen Finanzierungszertifkat.
Infos
| Vermarktungsart | Kaufen |
|---|---|
| Grundstücksfläche | 960 m2 |
| Erschließung | Teilerschlossen |
| Empfohlene Nutzung | Einfamilienhaus |
| Bebaubar nach | Bebauungsplan |
| Verfügbar ab | Sofort. |
Kosten
| Miete pro Jahr |
96.000 € |
|---|---|
| Provision |
7,14 % inkl. 19% MwSt. vom notariellen Kaufpreis. Weiteres zur Provision siehe unter Punkt: Sonstiges im Exposé. |
Finanzierungsrechner:
Kaufpreis:
600.000 €
Eigenkapital:
600.000 €
Monatliche Rate
0 €
Effektiver Jahreszins
0 %
Sollzinsbindung
10 Jahre
Beschreibung des Objekts
Lage
Der Bauplatz befindet sich in ruhiger und naturnaher Lage im idyllischen Ortsteil Olnhausen, einem Teil der Gemeinde Jagsthausen im Landkreis Heilbronn. Die kleine Ortschaft zeichnet sich durch ihren dörflichen Charakter, eine freundliche Nachbarschaft und eine landschaftlich reizvolle Umgebung aus.
Olnhausen liegt eingebettet in die sanften Hügel des Jagsttals und bietet einen hohen Erholungswert. Zahlreiche Wander- und Radwege, Felder und Wälder in unmittelbarer Nähe laden zu Freizeitaktivitäten in der Natur ein. Trotz der ländlichen Ruhe sind wichtige Einrichtungen des täglichen Bedarfs gut erreichbar: Im nur etwa 5 Kilometer entfernten Jagsthausen befinden sich Einkaufsmöglichkeiten, Ärzte, Kindergarten und Grundschule. Weiterführende Schulen sowie ein breiteres Einkaufs- und Kulturangebot finden sich in den nahegelegenen Städten Möckmühl, Öhringen oder Heilbronn.
Die verkehrstechnische Anbindung ist gut: Über die nahegelegene B27 sowie die Autobahn A81 (Anschluss Möckmühl oder Osterburken) sind größere Städte wie Heilbronn, Würzburg oder Stuttgart in angemessener Fahrzeit erreichbar. Der öffentliche Nahverkehr wird durch regionale Busverbindungen ergänzt.
Die ruhige Lage, das ländliche Umfeld und die gute Erreichbarkeit machen diesen Bauplatz zu einem idealen Standort für Familien, Naturliebhaber oder alle, die naturnah und dennoch gut angebunden wohnen möchten.
Sonstige Angaben
Die Objektbeschreibung beruht ganz oder zum Teil auf Angaben des Eigentümers, der Text wurde teilweise mit Unterstützung künstlicher Intelligenz bearbeitet und überprüft. Für die Richtigkeit oder Vollständigkeit übernehmen wir keine Gewähr.
Beim ausgewiesenen Preis handelt es sich um den Angebotspreis, der sich durch Verhandlungen auch verändern kann. Bei diesem Objekt ist nicht vorgesehen, dass der Käufer mit uns eine eigenständige Provisionsvereinbarung trifft, sofern dieser als Verbraucher (§ 14 BGB) zu qualifizieren ist. Der Verkauf erfolgt nur an denjenigen, der sich bereit erklärt, die vom Verkäufer zugesagte Provision zu übernehmen. Dieser Anteil beträgt in diesem Fall 7,14 % inkl. MwSt. vom Kaufpreis und ist nach Abschluss des Kaufvertrages zur Zahlung fällig.
Vereinbaren Sie noch heute einen unverbindlichen Besichtigungstermin und überzeugen Sie sich selbst! Terminvorschläge an: heilbronn@falcimmo.de. Da wir die Termine für Besichtigungen mit größter Sorgfalt planen, bitten wir Sie um Verständnis dafür, dass Termine ausschließlich in schriftlicher Form per E-Mail vereinbart werden können. Um fair und gerecht gegenüber jedem unserer Interessenten zu werden, ist dies unumgänglich. Wir freuen uns über Ihre Kontaktaufnahme! Geben Sie bitte immer die vollständige ADRESSE und RUFNUMMER an!
Ihr Ansprechpartner: Andreas Franzke, heilbronn@falcimmo.de
Besuchen Sie uns auch in unserem Büro in: Neckarsulmer Str. 2, 74076 Heilbronn
Sie denken selbst über die Veräußerung Ihrer Immobilie nach oder möchten einfach nur wissen, was diese wert ist? Bei uns erhalten Sie kostenlos eine professionelle Wertermittlung! Gehen Sie hierzu auf: www.falcimmo.de/Das-ist-meine-Immobilie-wert.htm oder kontaktieren Sie uns.